Log In/Sign Up
Your email has been sent.
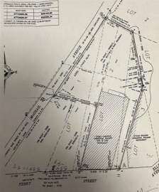
5329 Ferry St
Niagara Falls, ON L2G 3L8
Land For Sale
·
0.44 AC


INVESTMENT HIGHLIGHTS
- Prime location with heavy foot traffic
EXECUTIVE SUMMARY
Shovel ready land for sale. Zoned Tourist Commercial TC-075 Zoning and Site Plan approved for 27 upscale apartment units, designed as a condominium development. All required site reports & studies have been completed. Building Demolition completed. THIS DEVELOPMENT IS FOR SALE TO A BUILDER/INVESTOR SITE PLAN APPROVED MADE EFFECTIVE 11 APRIL 2023 DEFINITION PARAGRAPH 1-G Lands to construct a 4-storey mixed use development with a café/restaurant on the main floor and 27 residential units on floors 2, 3 and 4 and a roof top patio, as illustrated in the Plans and Drawings.
PROPERTY FACTS
| Sale Type | Investment | Property Subtype | Commercial |
| Sale Condition | Redevelopment Project | Proposed Use | |
| No. Lots | 1 | Total Lot Size | 0.44 AC |
| Property Type | Land | ||
| Zoning | Tourist Commercial (TC) - TC-075 | ||
| Sale Type | Investment |
| Sale Condition | Redevelopment Project |
| No. Lots | 1 |
| Property Type | Land |
| Property Subtype | Commercial |
| Proposed Use | |
| Total Lot Size | 0.44 AC |
| Zoning | Tourist Commercial (TC) - TC-075 |
1 LOT AVAILABLE
Lot
| Price | $1,449,675 USD | Lot Size | 0.44 AC |
| Price Per AC | $3,294,715.40 USD |
| Price | $1,449,675 USD |
| Price Per AC | $3,294,715.40 USD |
| Lot Size | 0.44 AC |
Shovel Ready .441 Acre Lot.
1 of 3
VIDEOS
MATTERPORT 3D EXTERIOR
MATTERPORT 3D TOUR
PHOTOS
STREET VIEW
STREET
MAP
