Log In/Sign Up
Your email has been sent.
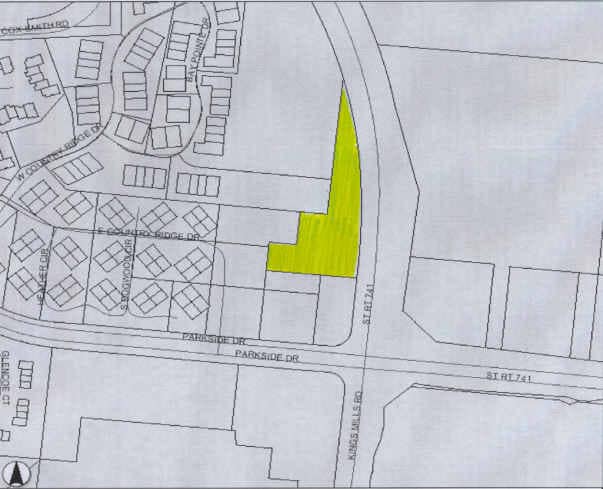
5524 Parkside Dr - B-3 Zoned Acreage 2.64 Acres of Commercial Land Offered at $850,000 in Mason, OH 45040

Investment Highlights
- 800" Frontage on State Rte. 741
Executive Summary
Situated in the heart of Warren County's popular entertainment district that includes Kings Island, The Beach Waterpark, Great Wolf Lodge & Lindner Family Tennis Center.
Across the street from Mason Grand & Villages of Mason, two new residential developments featuring more than 500 units.
Across the street from Mason Grand & Villages of Mason, two new residential developments featuring more than 500 units.
Property Facts
| Price | $850,000 | Property Subtype | Commercial |
| Sale Type | Investment | Proposed Use | |
| No. Lots | 1 | Total Lot Size | 2.64 AC |
| Property Type | Land | ||
| Zoning | B-3, Deerfield Twp | ||
| Price | $850,000 |
| Sale Type | Investment |
| No. Lots | 1 |
| Property Type | Land |
| Property Subtype | Commercial |
| Proposed Use | |
| Total Lot Size | 2.64 AC |
| Zoning | B-3, Deerfield Twp |
1 Lot Available
Lot
| Price | $850,000 | Lot Size | 2.64 AC |
| Price Per AC | $321,969.70 |
| Price | $850,000 |
| Price Per AC | $321,969.70 |
| Lot Size | 2.64 AC |
800" Frontage on State Rte. 741 Located in Mason, one of Cincinnati's most affluent communities and home to Mason City Schools, named #11 in the U.S.
Description
Located in Mason, one of Cincinnati's most affluent communities and home to Mason City Schools, named #11 in the U.S.
1 1
Property Taxes
| Parcel Numbers | Improvements Assessment | $0 | |
| Land Assessment | $252,360 | Total Assessment | $252,360 |
Property Taxes
Parcel Numbers
Land Assessment
$252,360
Improvements Assessment
$0
Total Assessment
$252,360
1 of 2
Videos
Matterport 3D Exterior
Matterport 3D Tour
Photos
Street View
Street
Map
1 of 1
Presented by
5524 Parkside Dr - B-3 Zoned Acreage
Already a member? Log In
Hmm, there seems to have been an error sending your message. Please try again.
Thanks! Your message was sent.
Your message has been sent!
Activate your LoopNet account now to track properties, get real-time alerts, save time on future inquiries, and more.
