Enter your email to login or create a free account
This feature is unavailable at the moment.
We apologize, but the feature you are trying to access is currently unavailable. We are aware of this issue and our team is working hard to resolve the matter.
Please check back in a few minutes. We apologize for the inconvenience.
- LoopNet Team
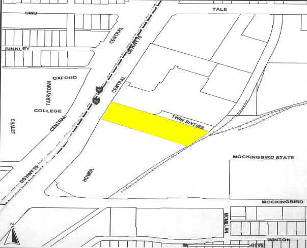
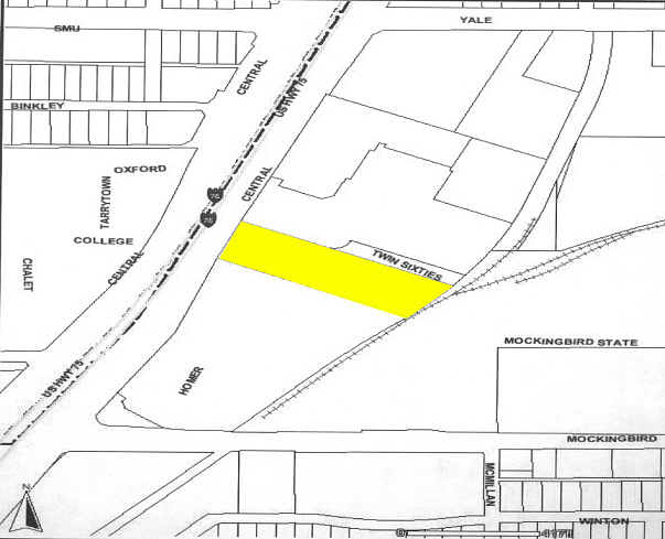
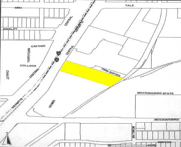
5910 N Central Expy
Dallas, TX 75206
Premier Place · Property For Lease

Features and Amenities
- Atrium
- Banking
- Controlled Access
- Commuter Rail
- Concierge
- Conferencing Facility
- Courtyard
- Fitness Center
- Food Service
- Property Manager on Site
- Restaurant
- Security System
- Air Conditioning
- Balcony
Property Facts
Sustainability
Sustainability
LEED Certification Developed by the U.S. Green Building Council (USGBC), the Leadership in Energy and Environmental Design (LEED) is a green building certification program focused on the design, construction, operation, and maintenance of green buildings, homes, and neighborhoods, which aims to help building owners and operators be environmentally responsible and use resources efficiently. LEED certification is a globally recognized symbol of sustainability achievement and leadership. To achieve LEED certification, a project earns points by adhering to prerequisites and credits that address carbon, energy, water, waste, transportation, materials, health and indoor environmental quality. Projects go through a verification and review process and are awarded points that correspond to a level of LEED certification: Platinum (80+ points) Gold (60-79 points) Silver (50-59 points) Certified (40-49 points)
Attachments
| Flyer |
Listing ID: 22088393
Date on Market: 1/27/2021
Last Updated:
Address: 5910 N Central Expy, Dallas, TX 75206
The Northeast Dallas Office Property at 5910 N Central Expy, Dallas, TX 75206 is no longer being advertised on LoopNet.com. Contact the broker for information on availability.
OFFICE PROPERTIES IN NEARBY NEIGHBORHOODS
- Far North Dallas Commercial Real Estate Properties
- West Dallas Commercial Real Estate Properties
- Northwest Dallas Commercial Real Estate Properties
- East Dallas Commercial Real Estate Properties
- Uptown/Park Cities Commercial Real Estate Properties
- Southeast Dallas Commercial Real Estate Properties
- Downtown Dallas Commercial Real Estate Properties
- Design District Commercial Real Estate Properties
- Prestonwood Commercial Real Estate Properties
- Uptown Dallas Commercial Real Estate Properties
- North Dallas Commercial Real Estate Properties
- Love Field Commercial Real Estate Properties
- Vickery Commercial Real Estate Properties
- Koreatown/Gribble Commercial Real Estate Properties
NEARBY LISTINGS
- 152-160 Continental Ave, Dallas TX
- 2711 N Haskell Ave, Dallas TX
- 6688 N Central Expy, Dallas TX
- 1412 Main St, Dallas TX
- 1999 Bryan St, Dallas TX
- 2201 Main St, Dallas TX
- 1722 Routh St, Dallas TX
- 3500 Maple Ave, Dallas TX
- 9840-9850 N Central Expy, Dallas TX
- 8080 Park Ln, Dallas TX
- 3811 Turtle Creek Blvd, Dallas TX
- 2323 Bryan St, Dallas TX
- 1801 N Lamar St, Dallas TX
- 2626 Cole Ave, Dallas TX
- 10100 N Central Expy, Dallas TX
