Your email has been sent.
Investment Highlights
- Townhouse lot opportunity in Downtown Toronto.
Executive Summary
Expectation of pre-selling of each Free hold town house is about $1,900,000 to $2,100,000 ish in the area ( We can help on list and pre-selling the unit before the construction has started).
Development Stats
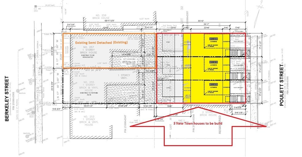
Townhome stats (per town):
Lot size: 17' 2 x 65' 5
Interior Square Footage:
Here is a small , quick and risk Free development opportunity with reasonable profit margin to buy with an approval for 3 Freehold Town house Lot in Corktown (Dundas & Parliament street area ) with Providing Site plan approval, By this Fall with reasonable deposit.
The site is in the Middle of It all:
Walking distance to Eaton Center and Ryerson, Street Car, Subway, Stores, Parks , Regent Park Aquatic Centre, Community Health Centre ...
66 Poulett Street has a Walk Score of 94 out of 100. This location is a Walker’s Paradise so daily errands do not require a car.
66 Poulett Street is a two minute walk from the 505 DUNDAS S.C. at the DUNDAS ST EAST AT ONTARIO ST stop.
This location is in the Moss Park neighborhood in Toronto. Nearby parks include Moss Park, Sumach-Shuter Parkette and Allan Gardens.
Property Facts
| Price | $2,168,305 USD | Property Subtype | Residential |
| Sale Type | Investment | Proposed Use | Planned Unit Development |
| No. Lots | 1 | Total Lot Size | 0.12 AC |
| Property Type | Land | ||
| Zoning | Res | ||
| Price | $2,168,305 USD |
| Sale Type | Investment |
| No. Lots | 1 |
| Property Type | Land |
| Property Subtype | Residential |
| Proposed Use | Planned Unit Development |
| Total Lot Size | 0.12 AC |
| Zoning | Res |
1 Lot Available
Lot
| Price | $2,168,305 USD | Lot Size | 0.12 AC |
| Price Per AC | $18,069,204.55 USD |
| Price | $2,168,305 USD |
| Price Per AC | $18,069,204.55 USD |
| Lot Size | 0.12 AC |
3 Town House Lot 62-64-66 POULETT ST ( Builder Ready Opportunity) (Back Yard Of 255 Berkeley And All Of 277 Berkeley ) Large Rare Deep Lot Between Berkeley & Poulett Street. 1803 Sf End Unit Of Attached Row House With Original Charm
Description
3 town house lot severed and ready to bulid 66 Poulett Street Moss Park, Toronto, M5A 1Z5 Add scores to your site Commute to Downtown Toronto 4 min 13 min 6 min 22 min View Routes Walk Score of 66 Poulett Street Toronto ON Canada Walker’s Paradise Daily errands do not require a car. Transit Score of 66 Poulett Street Toronto ON Canada Rider’s Paradise World-class public transportation. Bike Score of 66 Poulett Street Toronto ON Canada Biker’s Paradise Flat as a pancake, excellent bike lanes
Presented by
62-66 Poulett St
Hmm, there seems to have been an error sending your message. Please try again.
Thanks! Your message was sent.



