Log In/Sign Up
Your email has been sent.
6430 San Fernando Blvd Glendale CA 91201 2 Properties Offered at $7,700,000 in Glendale, CA



Investment Highlights
- Combined land area totaling 17,779 square feet across both lots, offering flexibility for future design and site planning
- Portfolio consisting of two adjacent Glendale parcels positioned for development or owner-user investment
- Offered at $7,700,000 for the entire portfolio, positioned as a prime development opportunity in the Glendale market
- Existing 4,429 square foot retail structure on San Fernando Road, providing immediate functional use or adaptive reuse potential
- Ruberta Avenue parcel currently utilized as parking, enhancing operational convenience or allowing incorporation into a larger development plan
Executive Summary
Portfolio Sale – Prime Development Opportunity
This offering includes two adjacent lots in Glendale, CA, presenting a unique opportunity for developers:
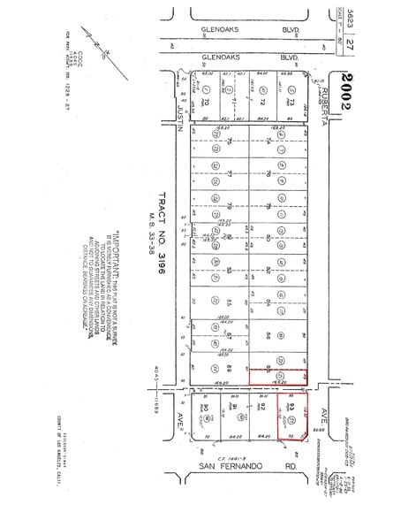
1013 Ruberta Ave, Glendale, CA 91201 – A 7,166 SF lot currently used as parking for a restaurant.
6430 San Fernando Rd, Glendale, CA 91201 – A 10,613 SF lot with a 4,429 SF structure (per owner).
According to the owner's research, the front lot has the potential for a six-story mixed-use development, while 1013 Ruberta Ave could accommodate three residential units and two ADUs.
It is an excellent investment for developers looking to maximize density in a prime Glendale location.
This offering includes two adjacent lots in Glendale, CA, presenting a unique opportunity for developers:
1013 Ruberta Ave, Glendale, CA 91201 – A 7,166 SF lot currently used as parking for a restaurant.
6430 San Fernando Rd, Glendale, CA 91201 – A 10,613 SF lot with a 4,429 SF structure (per owner).
According to the owner's research, the front lot has the potential for a six-story mixed-use development, while 1013 Ruberta Ave could accommodate three residential units and two ADUs.
It is an excellent investment for developers looking to maximize density in a prime Glendale location.
Data Room Click Here to Access
Property Facts
Properties
| Property Name / Address | Property Type | Size | Year Built | Individual Price |
|---|---|---|---|---|
|
1013 Ruberta Ave
1013 Ruberta Ave, Glendale, CA 91201 |
Land | 0.16 AC | 1971 | - |
| 6430 San Fernando Rd, Glendale, CA 91201 | Retail | 4,429 SF | 1927 | - |
1 1
1 of 10
Videos
Matterport 3D Exterior
Matterport 3D Tour
Photos
Street View
Street
Map
1 of 1
Presented by
6430 San Fernando Blvd Glendale CA 91201
Already a member? Log In
Hmm, there seems to have been an error sending your message. Please try again.
Thanks! Your message was sent.
