Log In/Sign Up
Your email has been sent.
Executive Summary
Easy commute to major highways, New Hampshire Border, Beaches, as well as Boston, MA & Manchester, NH.
5 Toll Rd. features a 2,818 sq. ft. home with 5 rooms, 2 bedrooms, and 1.5 baths on .97 acres. The "as-is" value is $700,000.
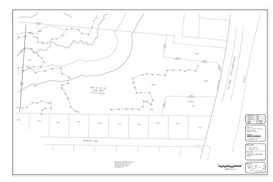
7 Toll Rd. consists of 36.69 acres of raw land. I have attached the completed delineation, which shows some wetlands on the property.
Historically, Salisbury has been cooperative with developers, allowing for high-density projects in most zones. Many Residential and Community Uses are allowed, including Commercial Stables, Kennels, Campgrounds, and Utility-scale Wind Energy Facilities.
5 Toll Rd. features a 2,818 sq. ft. home with 5 rooms, 2 bedrooms, and 1.5 baths on .97 acres. The "as-is" value is $700,000.
7 Toll Rd. consists of 36.69 acres of raw land. I have attached the completed delineation, which shows some wetlands on the property.
Historically, Salisbury has been cooperative with developers, allowing for high-density projects in most zones. Many Residential and Community Uses are allowed, including Commercial Stables, Kennels, Campgrounds, and Utility-scale Wind Energy Facilities.
Property Facts
| Price | $1,590,000 | Property Subtype | Commercial |
| Sale Type | Investment or Owner User | Proposed Use | Commercial |
| No. Lots | 1 | Total Lot Size | 37.66 AC |
| Property Type | Land | ||
| Zoning | C, R1, R2 - Commercial & Residential | ||
| Price | $1,590,000 |
| Sale Type | Investment or Owner User |
| No. Lots | 1 |
| Property Type | Land |
| Property Subtype | Commercial |
| Proposed Use | Commercial |
| Total Lot Size | 37.66 AC |
| Zoning | C, R1, R2 - Commercial & Residential |
1 Lot Available
Lot 7
| Price | $1,590,000 | Lot Size | 37.66 AC |
| Price Per AC | $42,219.86 |
| Price | $1,590,000 |
| Price Per AC | $42,219.86 |
| Lot Size | 37.66 AC |
Easy commute to major highways, New Hampshire Border, Beaches, as well as Boston, MA & Manchester, NH.
Description
Rare Opportunity Easy commute to major highways, New Hampshire Border, Beaches, as well as Boston, MA & Manchester, NH.36.7 +or- Acres, which can possibly include additional Lots for a total of 38.1 +or- Acres. Over 200 feet of Frontage. Wetland Delineated Many Residential and Community Uses are allowed, including Commercial Stables, Kennels, Campgrounds, and Utility-scale Wind Energy facilities.
1 1
Somewhat walkable
20/100
Exceptionally drivable
100/100
Fairly bikeable
40/100
1 of 4
Videos
Matterport 3D Exterior
Matterport 3D Tour
Photos
Street View
Street
Map
1 of 1
Presented by
7 Toll Rd
Already a member? Log In
Hmm, there seems to have been an error sending your message. Please try again.
Thanks! Your message was sent.



