Your email has been sent.
7251 E 14 Mile Rd
Sterling Heights, MI 48312
Land For Sale
·
2.50 AC


Investment Highlights
- The property is strategically positioned in a Walmart outlot and surrounded by other national retailers.
- Not only does the site provide multiple ingress/egress points off both 14 Mile and Van Dyke, but the intersection also sees more than 65,000 VPD.
- Situated in Sterling Heights, the second largest suburb in Metro Detroit and the fourth largest city in Michigan.
Executive Summary
Property Facts
| Sale Type | Investment | Property Subtype | Commercial |
| Sale Condition | Lease Option | Proposed Use | |
| No. Lots | 1 | Total Lot Size | 2.50 AC |
| Property Type | Land | ||
| Zoning | PCD - Planned Center District | ||
| Sale Type | Investment |
| Sale Condition | Lease Option |
| No. Lots | 1 |
| Property Type | Land |
| Property Subtype | Commercial |
| Proposed Use | |
| Total Lot Size | 2.50 AC |
| Zoning | PCD - Planned Center District |
1 Lot Available
Lot
| Price | $295,000 | Lot Size | 2.50 AC |
| Price Per AC | $118,000.00 |
| Price | $295,000 |
| Price Per AC | $118,000.00 |
| Lot Size | 2.50 AC |
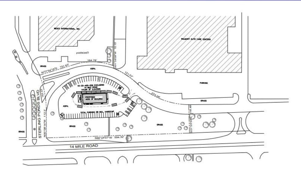
2.50 AC lot along 14 Mile Road in Warren, MI. Former Mc Donald's outlot.
Description
7251 14 Mile Road in Sterling Heights, Michigan is a 2.50 AC, build to suit development land along 14 Mile Road in Warren, Michigan. The property is strategically positioned in a Walmart outlot and surrounded by other national retailers, such as Menards, Value city Furniture, Auto Zone and Aldi. The site is situated in Sterling Heights, the second largest suburb in Metro Detroit and the fourth largest city in Michigan. This location offers a significant population base and a diverse demographic, providing a wide range of potential customers. Not only does the site provide multiple ingress/egress points off both 14 Mile and Van Dyke, but the intersection also sees more than 65,000 VPD.
