Log In/Sign Up
Your email has been sent.
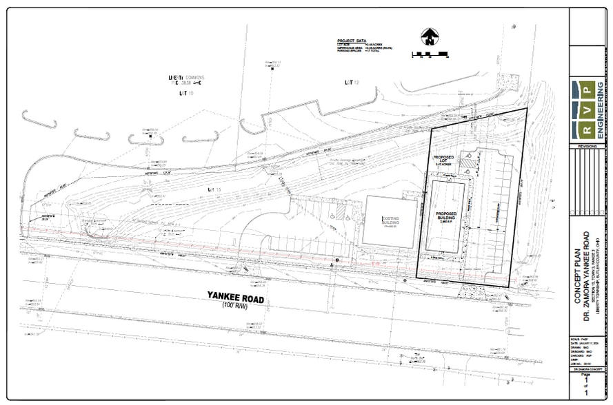
Investment Highlights
- Prime location less than a half mile to SR 129 and I-75
- Flat topography w/ all utilities at street
- 1 mile from new Liberty Center development
- Site can accommodate up to +/- 2,960 SF
- Next to Kroger Marketplace & Children's Hospital
Executive Summary
0.528 acres office/retail opportunity. Site can accommodate up to +/- 2,960 SF building. Flat topography w/ all utilities at street.
Property Facts
1 Lot Available
Lot
| Price | $225,000 | Lot Size | 0.53 AC |
| Price Per AC | $424,528.30 |
| Price | $225,000 |
| Price Per AC | $424,528.30 |
| Lot Size | 0.53 AC |
1 1
Fairly walkable
50/100
Exceptionally drivable
100/100
Fairly bikeable
40/100
Property Taxes
| Parcel Number | D2020-290-000-013 | Improvements Assessment | $0 |
| Land Assessment | $6,200 | Total Assessment | $6,200 |
Property Taxes
Parcel Number
D2020-290-000-013
Land Assessment
$6,200
Improvements Assessment
$0
Total Assessment
$6,200
1 of 3
Videos
Matterport 3D Exterior
Matterport 3D Tour
Photos
Street View
Street
Map
1 of 1
Presented by
7350 Yankee Rd
Already a member? Log In
Hmm, there seems to have been an error sending your message. Please try again.
Thanks! Your message was sent.


