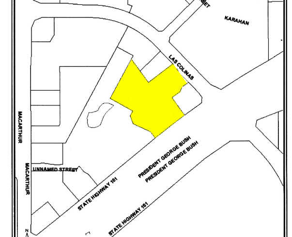
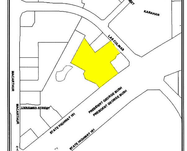
7423 Las Colinas Blvd | Irving, TX 75063
This feature is unavailable at the moment.
We apologize, but the feature you are trying to access is currently unavailable. We are aware of this issue and our team is working hard to resolve the matter.
Please check back in a few minutes. We apologize for the inconvenience.
- LoopNet Team
This Office Property is no longer advertised on LoopNet.com.
7423 Las Colinas Blvd
Irving, TX 75063
Building A · Office Property For Sale

PROPERTY FACTS
| Property Type | Office | No. Stories | 1 |
| Property Subtype | Medical | Year Built | 2005 |
| Building Class | B | Parking Ratio | 5/1,000 SF |
| Lot Size | 5.81 AC | APN / Parcel ID | 32C25800000A00102 |
| Rentable Building Area | 6,318 SF | ||
| Zoning | R40, Irving - Office | ||
| Property Type | Office |
| Property Subtype | Medical |
| Building Class | B |
| Lot Size | 5.81 AC |
| Rentable Building Area | 6,318 SF |
| No. Stories | 1 |
| Year Built | 2005 |
| Parking Ratio | 5/1,000 SF |
| APN / Parcel ID | 32C25800000A00102 |
| Zoning | R40, Irving - Office |
AMENITIES
- Signage
Listing ID: 26828985
Date on Market: 10/11/2022
Last Updated:
Address: 7423 Las Colinas Blvd, Irving, TX 75063
The Las Colinas Office Property at 7423 Las Colinas Blvd, Irving, TX 75063 is no longer being advertised on LoopNet.com. Contact the broker for information on availability.
OFFICE PROPERTIES IN NEARBY NEIGHBORHOODS
NEARBY LISTINGS
- 3033 W Royal Ln, Irving TX
- 1012 S Elm St, Carrollton TX
- 240 O Connor Ridge Blvd, Irving TX
- 2824 Valley View Ln, Farmers Branch TX
- 3033 W Royal Ln, Irving TX
- 260 W John W Carpenter Fwy, Irving TX
- 240 W John W Carpenter Fwy, Irving TX
- 220 W John W Carpenter Fwy, Irving TX
- 230 W John W Carpenter Fwy, Irving TX
- 200 W John W Carpenter Fwy, Irving TX
- 4530 N MacArthur Blvd, Irving TX
- 4540 N MacArthur Blvd, Irving TX
- 1173 W John Carpenter Fwy, Irving TX
- 10606 Shady Trl, Dallas TX
1 of 1
VIDEOS
MATTERPORT 3D EXTERIOR
MATTERPORT 3D TOUR
PHOTOS
STREET VIEW
STREET
MAP

Link copied
Your LoopNet account has been created!
Thank you for your feedback.
Please Share Your Feedback
We welcome any feedback on how we can improve LoopNet to better serve your needs.X
{{ getErrorText(feedbackForm.starRating, "rating") }}
255 character limit ({{ remainingChars() }} charactercharacters remainingover)
{{ getErrorText(feedbackForm.msg, "rating") }}
{{ getErrorText(feedbackForm.fname, "first name") }}
{{ getErrorText(feedbackForm.lname, "last name") }}
{{ getErrorText(feedbackForm.phone, "phone number") }}
{{ getErrorText(feedbackForm.phonex, "phone extension") }}
{{ getErrorText(feedbackForm.email, "email address") }}
You can provide feedback any time using the Help button at the top of the page.