Log In/Sign Up
Your email has been sent.
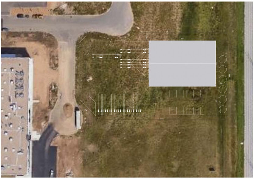
754 Stanley Dethridge Bay 1.82 Acres of Industrial Land Offered at $786,123 USD in Regina, SK S4N 6H9



EXECUTIVE SUMMARY
1.82 acres of industrial land ready for development located within Ross Industrial Park. Located amongst Regina’s newest industrial developments, high visibility from Fleet Streetand ease of access to the Ring Road and Highways.Lands available for sale or the ability for a build to suit.
PROPERTY FACTS
| Price | $786,123 USD | Property Type | Land |
| Sale Type | Investment | Property Subtype | Industrial |
| No. Lots | 1 | Total Lot Size | 1.82 AC |
| Zoning | IH - Heavy Industrial | ||
| Price | $786,123 USD |
| Sale Type | Investment |
| No. Lots | 1 |
| Property Type | Land |
| Property Subtype | Industrial |
| Total Lot Size | 1.82 AC |
| Zoning | IH - Heavy Industrial |
1 LOT AVAILABLE
Lot
| Price | $786,123 USD | Lot Size | 1.82 AC |
| Price Per AC | $431,935.86 USD |
| Price | $786,123 USD |
| Price Per AC | $431,935.86 USD |
| Lot Size | 1.82 AC |
1.82 acres of industrial land
1 of 4
VIDEOS
MATTERPORT 3D EXTERIOR
MATTERPORT 3D TOUR
PHOTOS
STREET VIEW
STREET
MAP
Presented by
754 Stanley Dethridge Bay
Already a member? Log In
Hmm, there seems to have been an error sending your message. Please try again.
Thanks! Your message was sent.

