Your email has been sent.
Executive Summary
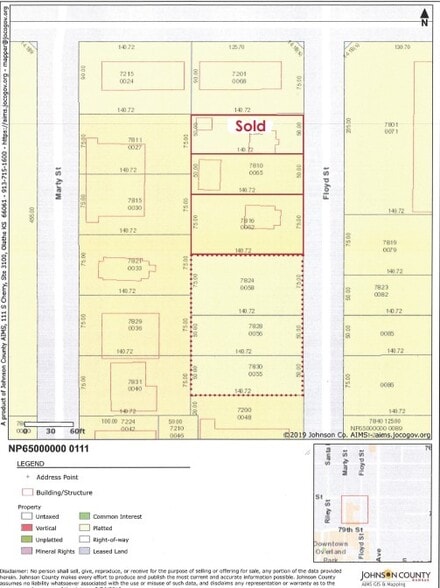
Downtown Overland Park
Includes 3 Lots (175 FF x 140.72’ Deep)
.56 Acres with the ability to add an
additional .56 acres
All Utilities on Site
Zoned DFD (Downtown Form District)
Property Facts
| Price | $571,675 | Property Subtype | Commercial |
| Sale Type | Investment | Proposed Use | |
| No. Lots | 1 | Total Lot Size | 0.40 AC |
| Property Type | Land | ||
| Zoning | DFD - Downtown Form District | ||
| Price | $571,675 |
| Sale Type | Investment |
| No. Lots | 1 |
| Property Type | Land |
| Property Subtype | Commercial |
| Proposed Use | |
| Total Lot Size | 0.40 AC |
| Zoning | DFD - Downtown Form District |
1 Lot Available
Lot
| Price | $571,675 | Lot Size | 0.40 AC |
| Price Per AC | $1,429,187.50 |
| Price | $571,675 |
| Price Per AC | $1,429,187.50 |
| Lot Size | 0.40 AC |
Description
This redevelopment opportunity in the heart of Downtown Overland Park features two contiguous lots totaling approximately 0.4 acres, presenting a versatile canvas for mixed-use or commercial projects. All utilities are already in place, streamlining the development process and reducing initial infrastructure costs. The property is zoned DFD (Downtown Form District), allowing for a variety of potential uses compatible with the vibrant character of the downtown area. With close proximity to local shops, dining, and community amenities, this site offers an excellent chance to capitalize on the continued growth and revitalization of Overland Park’s urban core while benefiting from strong pedestrian traffic and connectivity.
Property Taxes
| Parcel Numbers | Improvements Assessment | $43,122 | |
| Land Assessment | $64,892 | Total Assessment | $108,014 |
Property Taxes
Presented by
7810-7816 Floyd St
Hmm, there seems to have been an error sending your message. Please try again.
Thanks! Your message was sent.


