Log In/Sign Up
Your email has been sent.
INVESTMENT HIGHLIGHTS
- Freehold Retail Opportunity in Prime Pitch Next to The Bridges Shopping Centre
- ERV believed to be in the region of £60,000 pa (£8 psf)
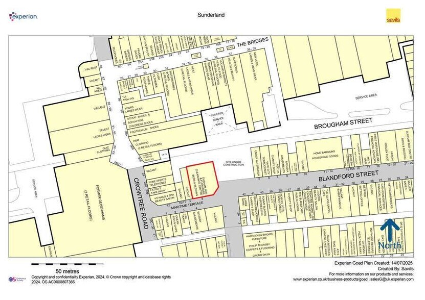
- Prime retailing pitch next to the main entrance of The Bridges Shopping Centre
- 200 metres from Sunderland Train Station
- Let at a nil rent
- Comprises approximately 694.88 sq m (7,479 sq ft)
- Let to Sunderland Furniture Clearance Centre Limited at a nil rent
- Asset management opportunity to increase rent
- Low capital value per square foot (£12 psf)
EXECUTIVE SUMMARY
The property comprises a freehold two storey building arranged as a ground floor shop with ancillary upper parts.
PROPERTY FACTS Under Contract
Sale Type
Investment or Owner User
Property Type
Retail
Tenure
Freehold
Property Subtype
Storefront
Building Size
7,479 SF
Year Built
1965
Price
$120,555
Price Per SF
$16.12
Percent Leased
100%
Tenancy
Multiple
Building Height
2 Stories
Building FAR
0.32
Lot Size
0.54 AC
Frontage
66’ on Maritime Ter
AMENITIES
- Automatic Blinds
MAJOR TENANTS
- TENANT
- INDUSTRY
- SF OCCUPIED
- RENT/SF
- LEASE END
- Durham Bed & Furniture Centre
- -
- 7,479 SF
- -
- -
| TENANT | INDUSTRY | SF OCCUPIED | RENT/SF | LEASE END | ||
| Durham Bed & Furniture Centre | - | 7,479 SF | - | - |
1 1
NEARBY MAJOR RETAILERS
1 of 4
VIDEOS
MATTERPORT 3D EXTERIOR
MATTERPORT 3D TOUR
PHOTOS
STREET VIEW
STREET
MAP
1 of 1
Presented by
8 Maritime Ter
Already a member? Log In
Hmm, there seems to have been an error sending your message. Please try again.
Thanks! Your message was sent.



