Your email has been sent.
Investment Highlights
- Boutique Professional Office Business Park, well maintained, professionally managed
- 6,560 SF, One story, available for immediate occupancy - Divisible into two units.
- Centrally located to all of Ventura County, immediate access to 101 Freeway.
- Condo Association covers roof & HVAC maintenance, rubbish, water, sewer, irrigation, landscaping, exterior lighting, fire sprinklers... ($0.25/sf)
Executive Summary
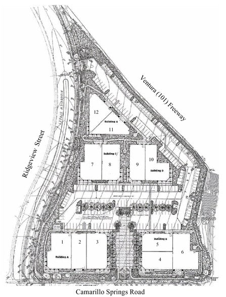
Camarillo Springs is a boutique professional business park at the base of the Camarillo Grade featuring 12 professional office condominiums in five one-story structures. This location has immediate access to the 101 Freeway and is centrally located to all of Ventura County. 12 Miles to Ventura 12 Miles to Westlake Village 12 Miles to Moorpark 10 Miles to Pt. Mugu This unit features an open floor plan with large conference room, 2 private offices, 2 restrooms, kitchenette, and extensive window line on 3 sides. Divisible into two units. Priced well below replacement cost. Motivated Seller
Property Facts Under Contract
| Total Building Size | 6,560 SF | Year Built | 2003 |
| Property Type | Office (Condo) | Tenancy | Single |
| Building Class | B | Lot Size | 0.40 AC |
| Floors | 1 | Parking Ratio | 4/1,000 SF |
| Typical Floor Size | 6,560 SF | ||
| Zoning | P-O, Camarillo - P.O. Zoning allows for a broad array of professional offices. Medical and Dental uses are allowed subject to Owner Association approval. | ||
| Total Building Size | 6,560 SF |
| Property Type | Office (Condo) |
| Building Class | B |
| Floors | 1 |
| Typical Floor Size | 6,560 SF |
| Year Built | 2003 |
| Tenancy | Single |
| Lot Size | 0.40 AC |
| Parking Ratio | 4/1,000 SF |
| Zoning | P-O, Camarillo - P.O. Zoning allows for a broad array of professional offices. Medical and Dental uses are allowed subject to Owner Association approval. |
Amenities
- 24 Hour Access
- Signage
- Kitchen
- Natural Light
- Air Conditioning
1 Unit Available
Unit C
| Unit Size | 6,560 SF | Sale Status | Under Contract |
| Price | $1,344,500 | No. Parking Spaces | 24 |
| Price Per SF | $204.95 | Sale Conditions | High Vacancy Property |
| Condo Use | Office | APN/Parcel ID | 234-0-330-015 |
| Sale Type | Investment or Owner User |
| Unit Size | 6,560 SF |
| Price | $1,344,500 |
| Price Per SF | $204.95 |
| Condo Use | Office |
| Sale Type | Investment or Owner User |
| Sale Status | Under Contract |
| No. Parking Spaces | 24 |
| Sale Conditions | High Vacancy Property |
| APN/Parcel ID | 234-0-330-015 |
Description
- MOVE-IN READY
- 9’ CEILINGS
- OPEN FLOOR PLAN
- FREEWAY VISIBILE
- WINDOWS ON 3 SIDES
- 26 PARKING SPACES
- DIVISIBLE
- SIGNAGE
- PROFESSIONAL BUSINESS PARK
- 2 PRIVATE OFFICES
- LARGE CONFERENCE ROOM
- GALLEY
2 RESTROOMS
Sale Notes
Below Replacement Cost
Available for Immediate Occupancy
Quiet, Serene Professional Business Park
P.O.A. Maintains Landscaping, Parking Lot, Roof, and HVAC
Property Owner’s Association Fee Approximately $1,650/mo ($0.25/SF)
101 Freeway Visibility
Two Private Offices, Large Conference Room, Breakroom, Two Restrooms,
Server Room, and Large Open Floor Plan with Windows on three sides
Divisible into 2 Units
Presented by
815 Camarillo Springs Rd
Hmm, there seems to have been an error sending your message. Please try again.
Thanks! Your message was sent.




