Log In/Sign Up
Your email has been sent.
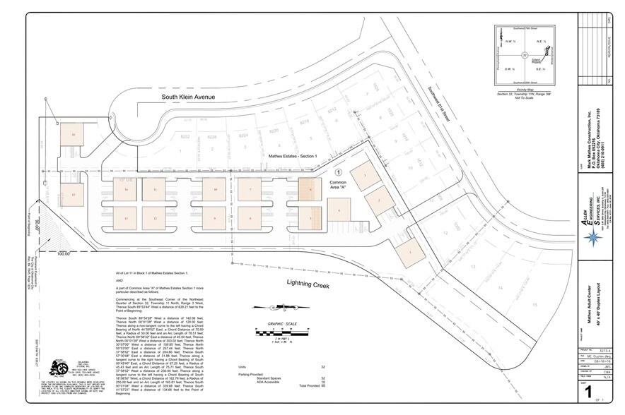
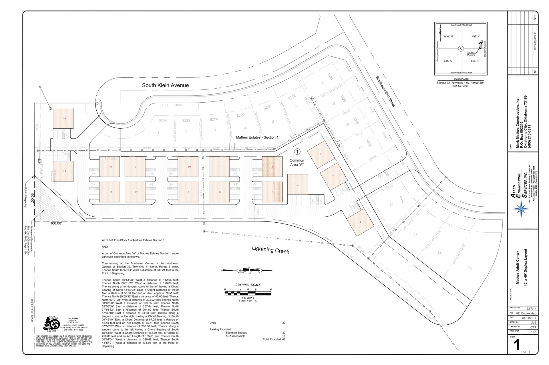
8230 S Klein Ave
Oklahoma City, OK 73139
Senior Housing Land- South OKC · Land For Sale
·
3.15 AC


EXECUTIVE SUMMARY
Investment / Development opportunity at 8230 S Klein Ave in Oklahoma City. This property, zoned SPUD, is primed for multifamily or senior living development. Situated just 5 minutes from I-240, the location offers convenient access to major transportation routes. With utilities already on site, it's prepared for seamless development.
PROPERTY FACTS
1 LOT AVAILABLE
Lot
| Price | $429,000 | Lot Size | 3.15 AC |
| Price Per AC | $136,190.48 |
| Price | $429,000 |
| Price Per AC | $136,190.48 |
| Lot Size | 3.15 AC |
Investment / Development opportunity at 8230 S Klein Ave in Oklahoma City. This property, zoned SPUD, is primed for multifamily or senior living development. Situated just 5 minutes from I-240, the location offers convenient access to major transport
PROPERTY TAXES
| Parcel Number | 207031150 | Improvements Assessment | $0 |
| Land Assessment | $16,951 | Total Assessment | $16,951 |
PROPERTY TAXES
Parcel Number
207031150
Land Assessment
$16,951
Improvements Assessment
$0
Total Assessment
$16,951
1 of 10
VIDEOS
MATTERPORT 3D EXTERIOR
MATTERPORT 3D TOUR
PHOTOS
STREET VIEW
STREET
MAP
Contact the Sale Advisor
8230 S Klein Ave - Senior Housing Land- South OKC
Your message has been sent!
Activate your LoopNet account now to track properties, get real-time alerts, save time on future inquiries, and more.
