Log In/Sign Up
Your email has been sent.
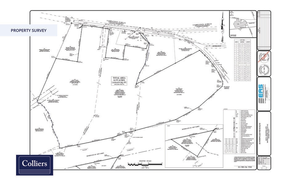
830 E Fairplay Blvd 65 Acres of Commercial Land in Fair Play, SC 29643


Investment Highlights
- ±65 acres (5 parcels)
- All utilities available on-site (electric, water, sewer, gas, fiber)
- Unzoned, located in Oconee County, South Carolina
- ±45,000 VPD (via I-85)
Property Facts
| Sale Type | Owner User | Property Subtype | Commercial |
| No. Lots | 1 | Total Lot Size | 65.00 AC |
| Property Type | Land |
| Sale Type | Owner User |
| No. Lots | 1 |
| Property Type | Land |
| Property Subtype | Commercial |
| Total Lot Size | 65.00 AC |
1 Lot Available
Lot
| Lot Size | 65.00 AC |
| Lot Size | 65.00 AC |
±65 acres divided between 5 parcels
Description
±65 acres are available for sale along Interstate 85 at Exit 4 in Fair Play, SC (Oconee County). The land is undeveloped and unzoned, allowing for maximum flexibility for a variety of uses. All utilities on-site Blue Ridge Electric Cooperative Pioneer Rural Water District Oconee County Sewer (2027 completion) Upcountry Fiber Fort Hill Natural Gas Tax Map No.: 341-00-02-028 341-00-02-012 341-00-01-010 341-00-01-011 341-00-02-031
1 1
Property Taxes
| Parcel Number | 341-00-02-028 | Improvements Assessment | $121 |
| Land Assessment | $37,104 | Total Assessment | $37,225 |
Property Taxes
Parcel Number
341-00-02-028
Land Assessment
$37,104
Improvements Assessment
$121
Total Assessment
$37,225
1 of 3
Videos
Matterport 3D Exterior
Matterport 3D Tour
Photos
Street View
Street
Map
1 of 1
Presented by
830 E Fairplay Blvd
Already a member? Log In
Hmm, there seems to have been an error sending your message. Please try again.
Thanks! Your message was sent.
Your message has been sent!
Activate your LoopNet account now to track properties, get real-time alerts, save time on future inquiries, and more.
