Log In/Sign Up
Your email has been sent.
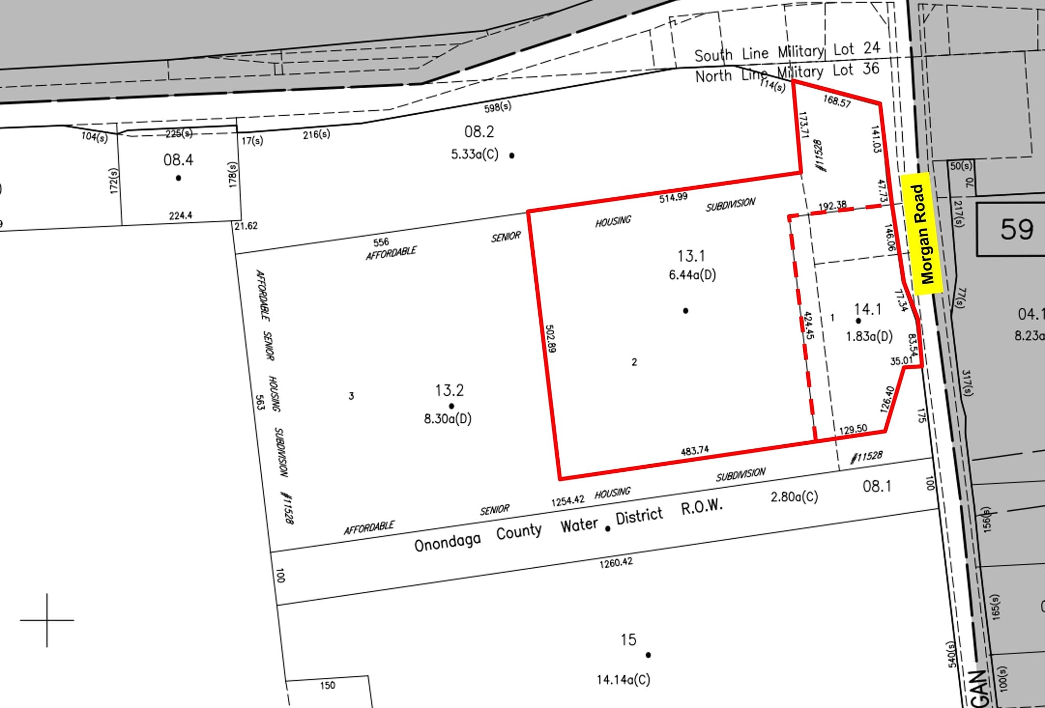
8565 Morgan Rd
Clay, NY 13041
8565 Morgan Road · Land For Sale
·
8.30 AC


INVESTMENT HIGHLIGHTS
- Prime location less than 3 miles from White Pine Commerce Park: home of the $100B chip manufacturing facility for Micron Technology, Inc.
- Highest county growth in trading area Town of Clay and Town of Cicero. Corner location with access from Morgan Road to Route 31.
- Route 31 and Morgan Road is the primary access (intersection) for all traffic between the Town of Clay, Town of Cicero, Town of Lysander, Town of Van
- The site includes all public utilities: three (3) laterals for sewer, water, gas, and electric. 674± feet of frontage on Morgan Road
- Close proximity to major retail developments (Great Northern Mall) and Route 31 retail traffic corridor
- Ideal site location, most suitable for a hotel development in relation to Micron Technology.
EXECUTIVE SUMMARY
Area development active due to four corners of Morgan Road and Route 31 being the primary corridor for all traffic between the Towns of Cicero, Clay, Lysander, and Van Buren. Property is ideally suited and located 3 miles from White Pine Commerce Center - the designated site for Micron Technology's $100B chip manufacturing facility. Property is also in close (less than 1 mile) proximity to soon to be renovated mixed-use lifestyle center at Great Northern Mall ($50M). The site is comprised of 674ft of frontage by 1227ft in depth. Rear and separate property has been developed into Morgan Square Senior Housing. All utilities including public sewer are at the site. The property is zoned HC-1 (Highway Commercial) for both tax parcels and allows for multiple uses including office, retail, medical, children's daycare, and self-storage.
PROPERTY FACTS
| Sale Type | Investment | Property Subtype | Commercial |
| No. Lots | 1 | Proposed Use | |
| Property Type | Land | Total Lot Size | 8.30 AC |
| Zoning | HC-1, RA-100 - Highway Commercial, Residential Agriculture District | ||
| Sale Type | Investment |
| No. Lots | 1 |
| Property Type | Land |
| Property Subtype | Commercial |
| Proposed Use | |
| Total Lot Size | 8.30 AC |
| Zoning | HC-1, RA-100 - Highway Commercial, Residential Agriculture District |
1 LOT AVAILABLE
Lot
| Price | $2,000,000 | Lot Size | 8.30 AC |
| Price Per AC | $240,963.86 |
| Price | $2,000,000 |
| Price Per AC | $240,963.86 |
| Lot Size | 8.30 AC |
8.30 acres for development.
DESCRIPTION
Area development active due to four corners of Morgan Road and Route 31 being the primary corridor for all traffic between the Towns of Cicero, Clay, Lysander, and Van Buren.
PROPERTY TAXES
| Parcel Number | 312489-055-000-0001-013-001-0000 | Improvements Assessment | $0 |
| Land Assessment | $4,200 | Total Assessment | $4,200 |
PROPERTY TAXES
Parcel Number
312489-055-000-0001-013-001-0000
Land Assessment
$4,200
Improvements Assessment
$0
Total Assessment
$4,200
1 of 11
VIDEOS
MATTERPORT 3D EXTERIOR
MATTERPORT 3D TOUR
PHOTOS
STREET VIEW
STREET
MAP
