Log In/Sign Up
Your email has been sent.
897 Rue Notre-Dame - 897 rue Notre-Dame, Champlain 3.95 Acres of Agricultural Land in Champlain, QC G0X 1C0

Property Facts
| Sale Type | Investment | Property Subtype | Agricultural |
| No. Lots | 1 | Total Lot Size | 3.95 AC |
| Property Type | Land |
| Sale Type | Investment |
| No. Lots | 1 |
| Property Type | Land |
| Property Subtype | Agricultural |
| Total Lot Size | 3.95 AC |
1 Lot Available
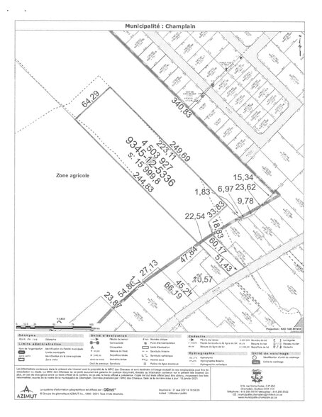
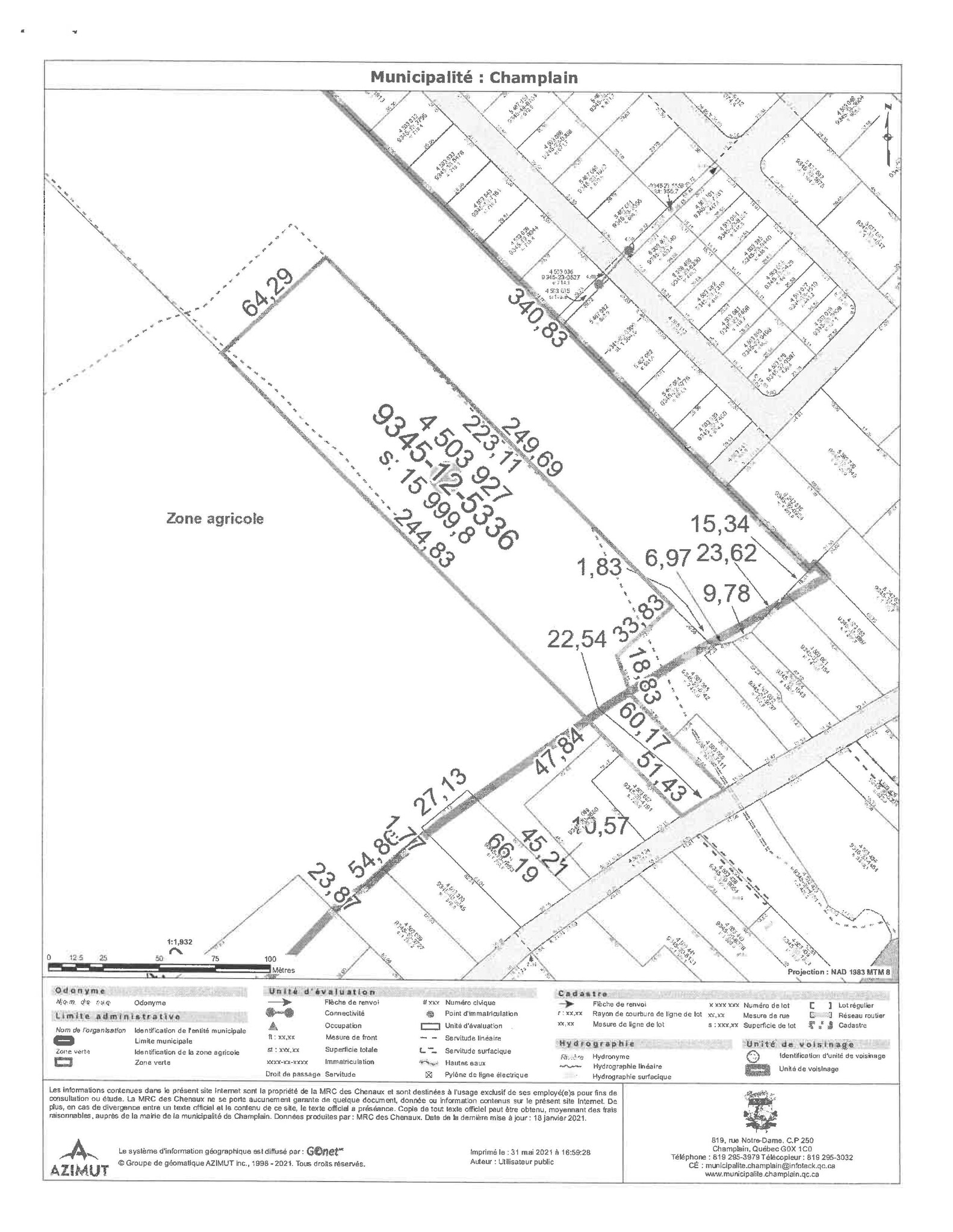
Lot 4 503 927
| Lot Size | 3.95 AC |
| Lot Size | 3.95 AC |
!!! NOUVEAU PRIX RÉDUIT // NEW REDUCED PRICE !!! +/- 172 , 200 sq.ft. total of land for sale +/- 15 , 000 sq.ft. zoned residential / commercial +/- 157, 200 sq.ft. zoned agricultural Lot number : 4 503 927
1 1
1 of 2
Videos
Matterport 3D Exterior
Matterport 3D Tour
Photos
Street View
Street
Map
1 of 1
Presented by
897 Rue Notre-Dame - 897 rue Notre-Dame, Champlain
Already a member? Log In
Hmm, there seems to have been an error sending your message. Please try again.
Thanks! Your message was sent.
Your message has been sent!
Activate your LoopNet account now to track properties, get real-time alerts, save time on future inquiries, and more.
