Log In/Sign Up
Your email has been sent.
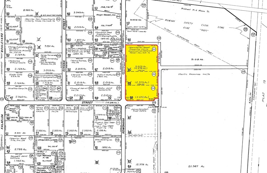
91-445 Komohana St 2.37 - 4.58 Acre Commercial Land Lots Offered at $7,250,000 - $13,000,000 Per Lot in Kapolei, HI 96707



INVESTMENT HIGHLIGHTS
- Fully fenced perimeter with mature landscaping and canal frontage on two sides for enhanced security
- Flexible zoning allows for a wide range of industrial and logistics use
- Includes a permitted 3,300 SF office building - ideal for owner-user or rental income
EXECUTIVE SUMMARY
LOTS CAN BE SOLD SEPARATELY. Seize this rare chance to acquire a fee simple, I-2 zoned industrial asset in Campbell Industrial Park, Oahu’s premier heavy industrial hub. Spanning 9.52 acres across THREE contiguous parcels, this mostly paved site offers outstanding functionality and access. With limited supply and rising demand for industrial land on Oahu, this asset offers both immediate utility and long-term value appreciation.
PROPERTY FACTS
| Price | $7,250,000 - $28,100,000 | Property Type | Land |
| Sale Type | Investment | Property Subtype | Commercial |
| No. Lots | 3 | Total Lot Size | 9.52 AC |
| Zoning | I-2 - Industrial | ||
| Price | $7,250,000 - $28,100,000 |
| Sale Type | Investment |
| No. Lots | 3 |
| Property Type | Land |
| Property Subtype | Commercial |
| Total Lot Size | 9.52 AC |
| Zoning | I-2 - Industrial |
3 LOTS AVAILABLE
Lot 2521
| Price | $13,000,000 | Lot Size | 4.58 AC |
| Price Per AC | $2,838,427.95 |
| Price | $13,000,000 |
| Price Per AC | $2,838,427.95 |
| Lot Size | 4.58 AC |
Lot 2522
| Price | $7,250,000 | Lot Size | 2.37 AC |
| Price Per AC | $3,059,071.73 |
| Price | $7,250,000 |
| Price Per AC | $3,059,071.73 |
| Lot Size | 2.37 AC |
Lot 2523
| Price | $7,850,000 | Lot Size | 2.57 AC |
| Price Per AC | $3,054,474.71 |
| Price | $7,850,000 |
| Price Per AC | $3,054,474.71 |
| Lot Size | 2.57 AC |
DESCRIPTION
91-445 Komohana is currently covered by one TMK No., (1) 9-1-032:088, although the property consists of three separate Land Court lots, Lots 2521, 2522 and 2523. Owner is currently pursuing with DPP and RPAD the issuance of a separate TMK No. for each of the three lots.
1 1
1 of 4
VIDEOS
MATTERPORT 3D EXTERIOR
MATTERPORT 3D TOUR
PHOTOS
STREET VIEW
STREET
MAP
1 of 1
Presented by
91-445 Komohana St
Already a member? Log In
Hmm, there seems to have been an error sending your message. Please try again.
Thanks! Your message was sent.
