Log In/Sign Up
Your email has been sent.
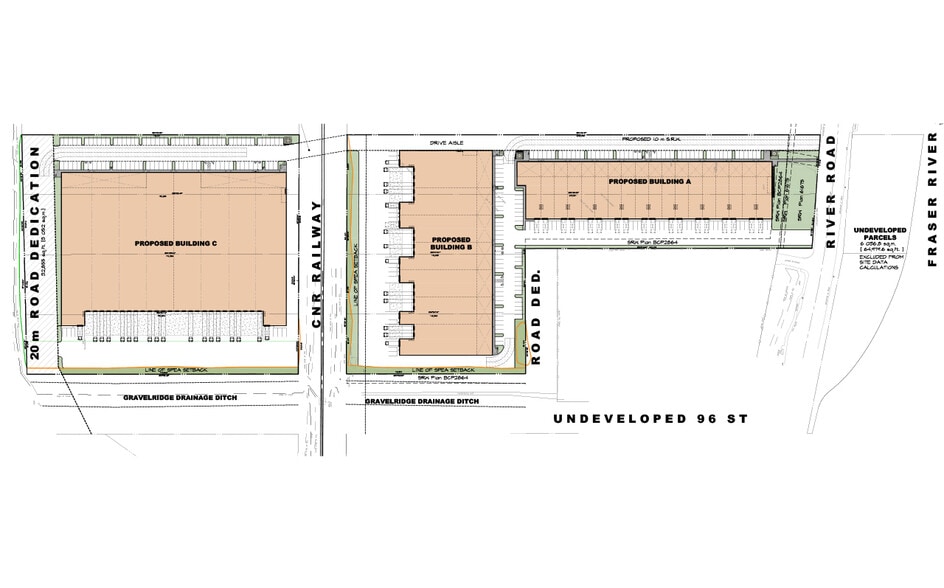
9538-9568 River Rd - 9538 & 9548 River Rd and 9558 & 9568 96th St 14.74 Acres of Commercial Land in Delta, BC V4G 1B5



Investment Highlights
- Excellent connectivity to major transportation hubs, including Deltaport, Tsawwassen Ferry Terminal, YVR Airport, and the Canada/US border.
- Includes an access agreement for vehicular and utility access across BNSF railway tracks, supporting future development flexibility.
- All utilities are available at the property line, and a Phase 2 Environmental Site Assessment, Geotechnical Report, and Arborist Report are completed.
Executive Summary
FOR SALE | 14.74 Acres of Industrial Development Land in Delta, Fronting Highway 17 - Tilbury Lands
This 14.74-acre industrial-zoned property in Delta’s Tilbury industrial area offers exceptional value, with prime frontage along Highway 17 and direct waterfront access. Its strategic location provides unparalleled connectivity to key logistical hubs such as Deltaport, Tsawwassen Ferry Terminal, YVR Airport, and the Canada/US border via Highways 17, 91, and 99. As industrial land supply in the region continues to shrink, this exclusive site presents a rare opportunity for developers and owner-occupiers to capitalize on the area's growing demand for distribution and warehouse space.
• Rezoning is not required
• All utilities are available along River Road at the property line.
• Phase 2 Environmental Site Assessment has been completed Geotechnical Report analysis available
• A BNSF railway tracks Access agreement, for vehicular traffic over the tracks and for utility access under the tracks, is in place
• An Arborist Report is completed
This 14.74-acre industrial-zoned property in Delta’s Tilbury industrial area offers exceptional value, with prime frontage along Highway 17 and direct waterfront access. Its strategic location provides unparalleled connectivity to key logistical hubs such as Deltaport, Tsawwassen Ferry Terminal, YVR Airport, and the Canada/US border via Highways 17, 91, and 99. As industrial land supply in the region continues to shrink, this exclusive site presents a rare opportunity for developers and owner-occupiers to capitalize on the area's growing demand for distribution and warehouse space.
• Rezoning is not required
• All utilities are available along River Road at the property line.
• Phase 2 Environmental Site Assessment has been completed Geotechnical Report analysis available
• A BNSF railway tracks Access agreement, for vehicular traffic over the tracks and for utility access under the tracks, is in place
• An Arborist Report is completed
Property Facts
| Sale Type | Investment | Property Subtype | Commercial |
| No. Lots | 1 | Proposed Use | |
| Property Type | Land | Total Lot Size | 14.74 AC |
| Zoning | I2 & I6 - Medium Impact Industrial & Waterfront Industrial | ||
| Sale Type | Investment |
| No. Lots | 1 |
| Property Type | Land |
| Property Subtype | Commercial |
| Proposed Use | |
| Total Lot Size | 14.74 AC |
| Zoning | I2 & I6 - Medium Impact Industrial & Waterfront Industrial |
1 Lot Available
Lot 18-21
| Lot Size | 14.74 AC |
| Lot Size | 14.74 AC |
This 14.74-acre industrial-zoned property in Delta’s Tilbury industrial area offers exceptional value, with prime frontage along Highway 17 and direct waterfront access.
Not walkable
10/100
Exceptionally drivable
100/100
Some public transit
40/100
Moderately bikeable
60/100
1 of 5
Videos
Matterport 3D Exterior
Matterport 3D Tour
Photos
Street View
Street
Map
Presented by
9538-9568 River Rd - 9538 & 9548 River Rd and 9558 & 9568 96th St
Already a member? Log In
Hmm, there seems to have been an error sending your message. Please try again.
Thanks! Your message was sent.

