This feature is unavailable at the moment.
We apologize, but the feature you are trying to access is currently unavailable. We are aware of this issue and our team is working hard to resolve the matter.
Please check back in a few minutes. We apologize for the inconvenience.
- LoopNet Team
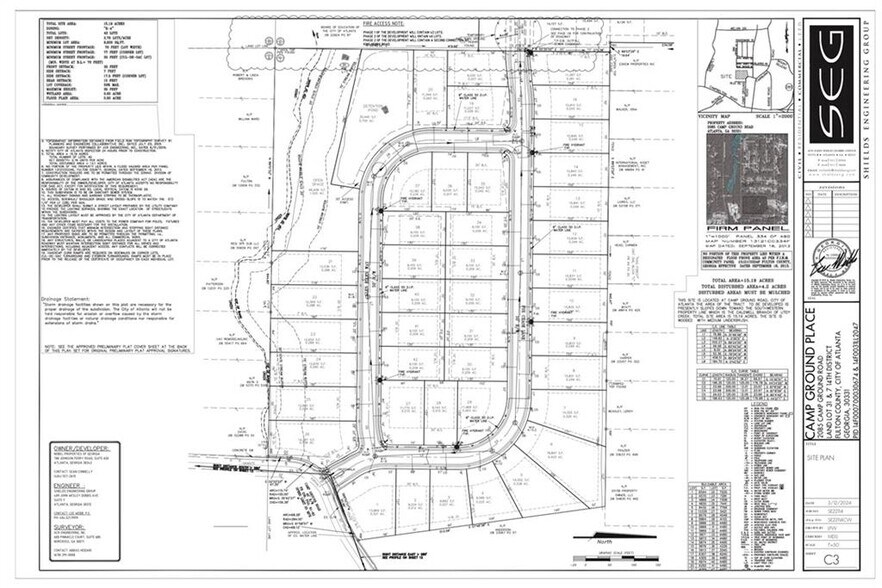
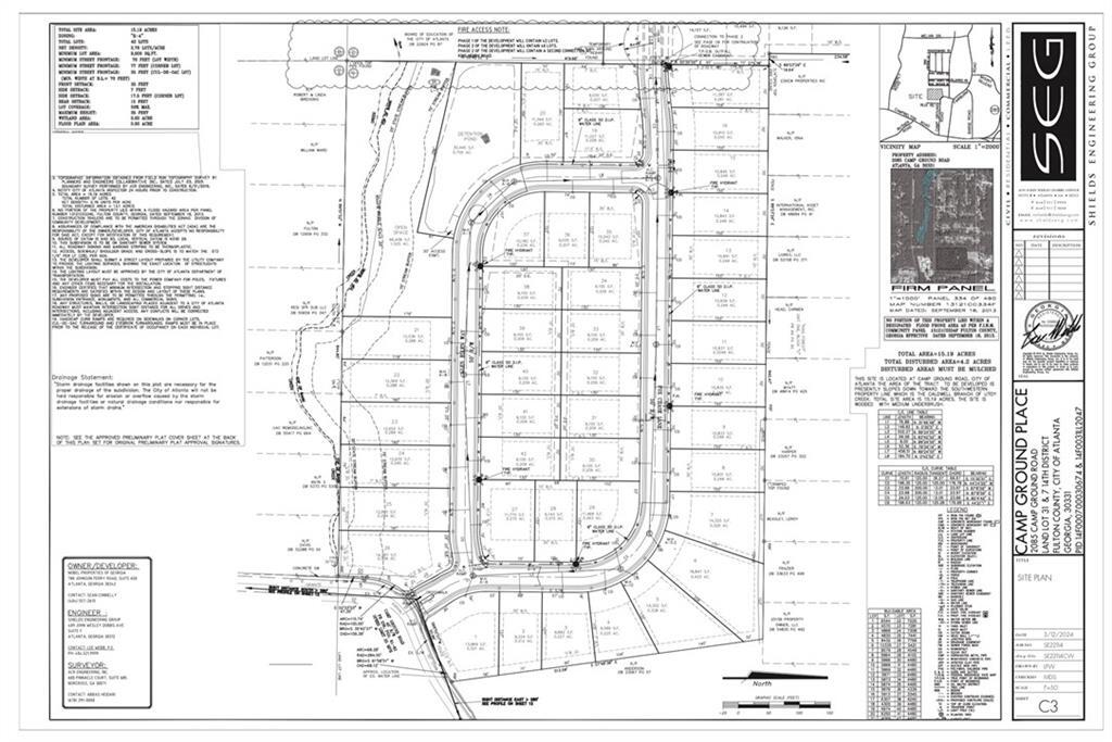
2085 Campground Rd
Atlanta, GA 30331
0 A C L Rail Rd · Land For Sale
·
36.65 AC

INVESTMENT HIGHLIGHTS
- LDP in hand on Phase I
PROPERTY FACTS
| Property Type | Land | Proposed Use | Single Family Development |
| Property Subtype | Residential | Total Lot Size | 36.65 AC |
| Zoning | R3 | ||
| Property Type | Land |
| Property Subtype | Residential |
| Proposed Use | Single Family Development |
| Total Lot Size | 36.65 AC |
| Zoning | R3 |
DESCRIPTION
Welcome to the future of real estate development in Atlanta! Nestled off Campground Road within the vibrant city limits of Atlanta, this exceptional land development opportunity boasts two distinct phases, this property offers a total of 81 spacious lots spread across 37.4 acres of prime land. Phase 1, spanning across 15.2 acres, presents an incredible initial opportunity with 42 well-planned and strategically positioned lots. The LDP for Phase 1 has been approved, paving the way for immediate construction and development. This phase sets the stage for the creation of a dynamic and thriving community. Phase 2, encompassing 22.2 acres, offers an additional 39 lots. While the LDP for Phase 2 is currently pending, its potential is immense, allowing for further growth and enhancement of the development. Imagine a community where modern living and convenience are seamlessly intertwined. With its strategic location, residents will enjoy easy access to major interstates, shopping, dining, parks and a short 10 minute commute to the Atlanta Airport.
LINKS
PROPERTY TAXES
| Parcel Numbers |
Multiple
|
Improvements Assessment | $0 |
| Land Assessment | $573,040 | Total Assessment | $573,040 |
PROPERTY TAXES
- 14F-0031-LL-204-7
- 14F-0007-0003-067-4
Listing ID: 29157540
Date on Market: 8/1/2023
Last Updated:
Address: 2085 Campground Rd, Atlanta, GA 30331
The Sandtown Land Property at 2085 Campground Rd, Atlanta, GA 30331 is no longer being advertised on LoopNet.com. Contact the broker for information on availability.
LAND PROPERTIES IN NEARBY NEIGHBORHOODS
- South Atlanta Residential Land & Home Lots
- Westside Atlanta Residential Land & Home Lots
- West Midtown Atlanta Residential Land & Home Lots
- Downtown Atlanta Residential Land & Home Lots
- Aerotropolis Residential Land & Home Lots
- Southeast Atlanta Residential Land & Home Lots
- Vine City Residential Land & Home Lots
- Cascade Heights Residential Land & Home Lots
- West Atlanta Residential Land & Home Lots
- Peoplestown Residential Land & Home Lots
- Sandtown Residential Land & Home Lots
- Lakewood Residential Land & Home Lots
- Westview Residential Land & Home Lots
- Castleberry Hill Residential Land & Home Lots
- Westside Park Residential Land & Home Lots
NEARBY LISTINGS
- 6500 Fulton Industrial Blvd SW, Atlanta GA
- 2149, East Point GA
- 3615 Martin Luther King Jr Dr SW, Atlanta GA
- Camp Crk, East Point GA
- 1055 Westmont SW rd, Atlanta GA
- 0 Main St, College Park GA
- Campbellton Road & Riverside Drive, Atlanta GA
- 4107 Danforth SW Rd, Atlanta GA
- 1795 Harbin Rd SW, Atlanta GA
- Campbellton Rd & Riverside Pky, Atlanta GA
- ``` Main Street, Atlanta GA
- 0 Kylemore lane, Atlanta GA
- Fairburn Road, Atlanta GA
- 0 Ben Hill Rd SW, Atlanta GA
