Log In/Sign Up
Your email has been sent.
Executive Summary
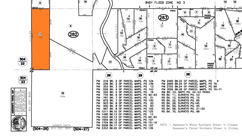
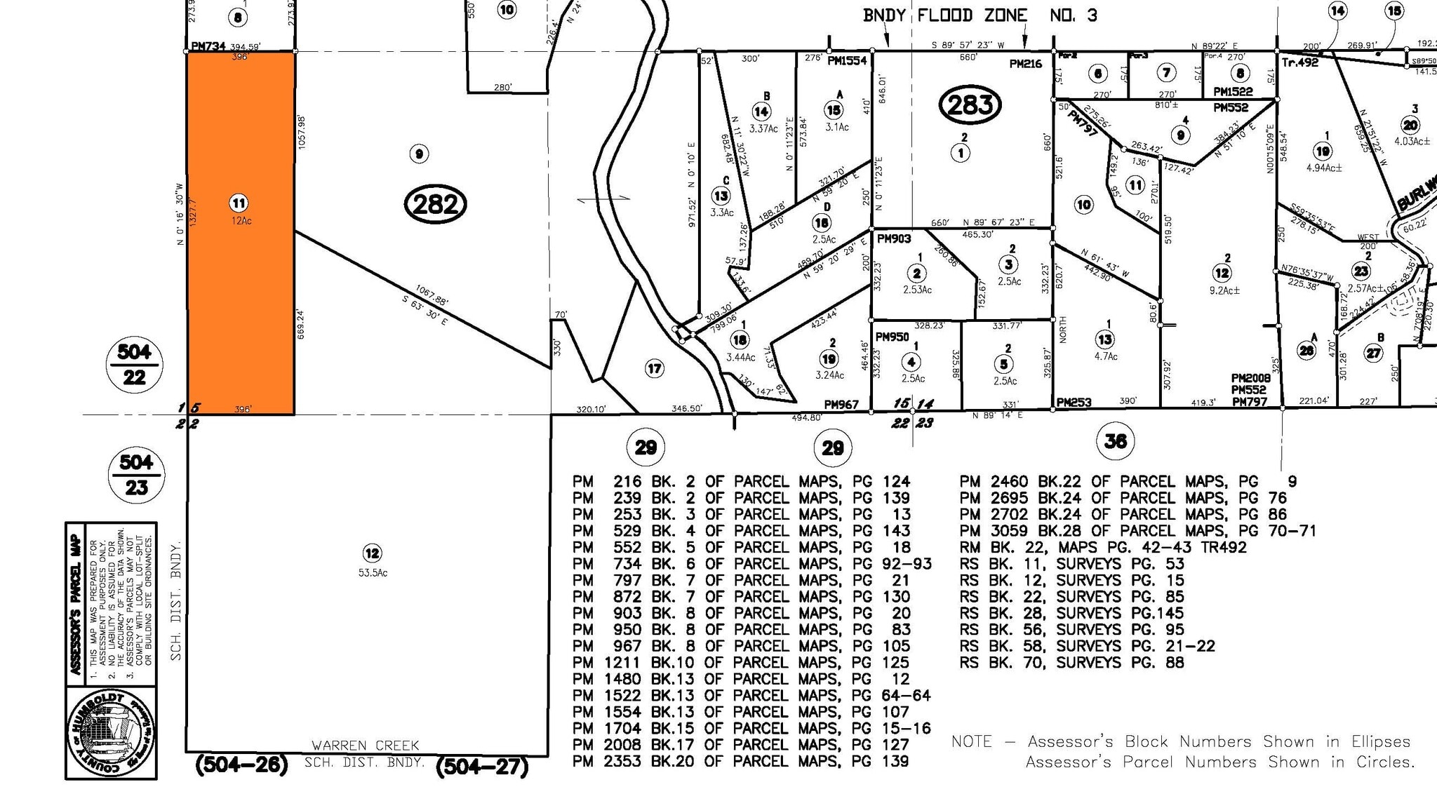
Discover 12 acres of opportunity in the heart of Arcata, CA, zoned for general agriculture and timber uses. Located just minutes from downtown Arcata, the property combines rural tranquility with convenient access to shops, schools, and local amenities. The AG/T zoning allows for a wide range of uses, including orchards, gardens, livestock, and forestry operations. With fertile soil, a mild coastal climate, and potential for utility access, this land presents a rare chance to create your agricultural vision in one of Humboldt County’s most desirable and ecologically rich regions.
Property Facts
| Price | $440,000 | Property Type | Land |
| Sale Type | Investment or Owner User | Property Subtype | Agricultural |
| No. Lots | 1 | Total Lot Size | 12.00 AC |
| Zoning | T/TPZ - Timberland | ||
| Price | $440,000 |
| Sale Type | Investment or Owner User |
| No. Lots | 1 |
| Property Type | Land |
| Property Subtype | Agricultural |
| Total Lot Size | 12.00 AC |
| Zoning | T/TPZ - Timberland |
1 Lot Available
Lot
| Price | $440,000 | Lot Size | 12.00 AC |
| Price Per AC | $36,666.67 |
| Price | $440,000 |
| Price Per AC | $36,666.67 |
| Lot Size | 12.00 AC |
12 acres of T/TPZ land in Arcata
1 1
Property Taxes
| Parcel Number | 516-282-011-000 | Improvements Assessment | $0 |
| Land Assessment | $2,100 | Total Assessment | $2,100 |
Property Taxes
Parcel Number
516-282-011-000
Land Assessment
$2,100
Improvements Assessment
$0
Total Assessment
$2,100
1 of 2
Videos
Matterport 3D Exterior
Matterport 3D Tour
Photos
Street View
Street
Map
1 of 1
Presented by
Aldergrove Rd
Already a member? Log In
Hmm, there seems to have been an error sending your message. Please try again.
Thanks! Your message was sent.
Your message has been sent!
Activate your LoopNet account now to track properties, get real-time alerts, save time on future inquiries, and more.

