This feature is unavailable at the moment.
We apologize, but the feature you are trying to access is currently unavailable. We are aware of this issue and our team is working hard to resolve the matter.
Please check back in a few minutes. We apologize for the inconvenience.
- LoopNet Team
34 Arthur Ave
Brookhaven, NY 11719
Property For Lease

HIGHLIGHTS
- Ceiling Height 18’ Clear
- 400 Amps
- 4 Drive-Ins (12’ x 14’)
- 3.57 Acers
PROPERTY OVERVIEW
• Ideal for the following uses Outdoor Storage Uses including but not limited to Transportation, Large Fleet, Contractors, Utility, Building Supply, Logistics, and Last Mile. • Unimproved land (1.77 Acres) has an Approved Site Plan to construct a 12,900 SF Industrial Building with Outdoor Storage Permit. Call for further details. • Property Type: Industrial Outdoor Storage • Zoning: Light Industrial • Lot Size: 3.57 Acers • Total Square Footage: 6,800 • Building #1 Office: 2000 SF • Building #2 Industrial: 4,800 SF( 80' x 60') Includes: 4 Drive-Ins (12’ x 14’), 400 Amps, Ceiling Height 18’ Clear
PROPERTY FACTS
| Property Type | Industrial | Rentable Building Area | 6,800 SF |
| Property Subtype | Warehouse | Year Built | 1984 |
| Property Type | Industrial |
| Property Subtype | Warehouse |
| Rentable Building Area | 6,800 SF |
| Year Built | 1984 |
FEATURES AND AMENITIES
- Fenced Lot
- Yard
- Storage Space
ATTACHMENTS
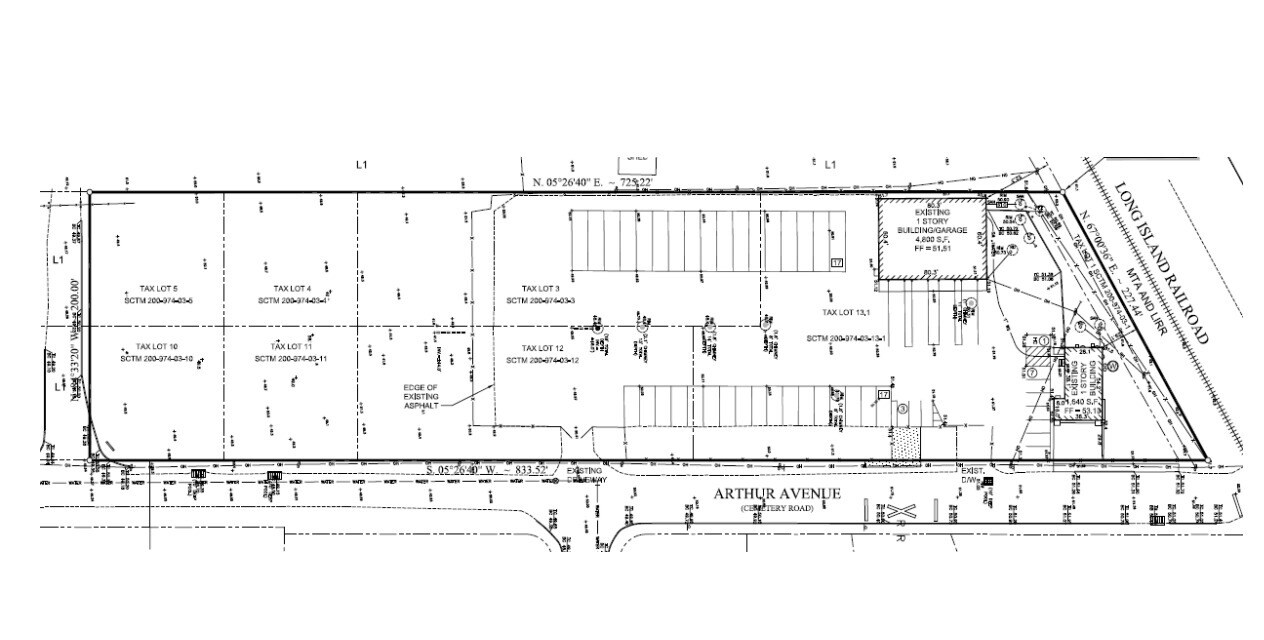
| Site Plan Lot B |
Listing ID: 25453534
Date on Market: 4/12/2022
Last Updated:
Address: 34 Arthur Ave, Brookhaven, NY 11719
The Industrial Property at 34 Arthur Ave, Brookhaven, NY 11719 is no longer being advertised on LoopNet.com. Contact the broker for information on availability.
INDUSTRIAL PROPERTIES IN NEARBY NEIGHBORHOODS
NEARBY LISTINGS
- 645 National Blvd, Medford NY
- Long Island Expy, Medford NY
- 1707-1735 Montauk Hwy, Bellport Village NY
- 990 Station Rd, Bellport NY
- 2468-2474 Montauk Hwy, Brookhaven NY
- 1230 B Station Rd, Medford NY
- 2801 Montauk Hwy, Brookhaven NY
- 292-294 Medford Ave, Patchogue NY
- 60 Lake St, Patchogue NY
- 399 William Floyd Pky, Shirley NY
- 16 Station Rd, Bellport Village NY
- 11 Farber Dr, Bellport Village NY
- 1360 Montauk Hwy, Mastic NY
- 380 Grove Ave, Patchogue NY
- 5-7 Todd Ct, Yaphank NY
