Log In/Sign Up
Your email has been sent.
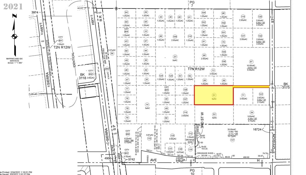
Ave G-12 near Division St - Industrial Land 5 Acres of Industrial Land Offered at $195,000 in Lancaster, CA 93535


Investment Highlights
- Heavy Industrial zoning
- Growing Industrial area
- Just minutes from AV Freeway via the Avenue H overpass
Executive Summary
Great industrial investment opportunity! Good level property with deeded access out to Division St. along future Ave G-12! The Heavy Industrial zoning is the most versatile industrial zoning in the City of Lancaster, allowing the widest mixture of industrial uses! This property is strategically situated just minutes from the AV Freeway via the Avenue H overpass in a growing Industrial area. Nearby neighbors include BYD’s 556,000sf electric bus manufacturing facility, one of the largest in North America, an extensive CAT Construction Equipment Dealership and a variety of other facilities.
Property Facts
| Price | $195,000 | Property Subtype | Industrial |
| Sale Type | Investment | Proposed Use | Industrial |
| No. Lots | 1 | Total Lot Size | 5.00 AC |
| Property Type | Land | ||
| Zoning | HI - Heavy Industrial | ||
| Price | $195,000 |
| Sale Type | Investment |
| No. Lots | 1 |
| Property Type | Land |
| Property Subtype | Industrial |
| Proposed Use | Industrial |
| Total Lot Size | 5.00 AC |
| Zoning | HI - Heavy Industrial |
1 Lot Available
Lot
| Price | $195,000 | Lot Size | 5.00 AC |
| Price Per AC | $39,000.00 |
| Price | $195,000 |
| Price Per AC | $39,000.00 |
| Lot Size | 5.00 AC |
The property is zoned Heavy Industrial and located on the future street of Avenue G-12 near Division St in the city of Lancaster, CA with deeded access along G-12 out to Division St.!
Exceptionally drivable
90/100
Somewhat bikeable
30/100
Property Taxes
| Parcel Number | 3137-008-051 | Improvements Assessment | $0 |
| Land Assessment | $66,300 | Total Assessment | $66,300 |
Property Taxes
Parcel Number
3137-008-051
Land Assessment
$66,300
Improvements Assessment
$0
Total Assessment
$66,300
1 of 3
Videos
Matterport 3D Exterior
Matterport 3D Tour
Photos
Street View
Street
Map
Presented by
Ave G-12 near Division St - Industrial Land
Already a member? Log In
Hmm, there seems to have been an error sending your message. Please try again.
Thanks! Your message was sent.

