Log In/Sign Up
Your email has been sent.
Bear Valley Rd
Apple Valley, CA 92308
Land For Sale
·
0.59 AC


Investment Highlights
- Located on a major thoroughfare with high visibility, high daily traffic counts and easy access to I-15.
- The subject property has approximately ±129.6 lineal feet along Bear Valley Road
Executive Summary
Property is situated near existing retail developments, office developments and residential developments, Surrounded by nearly ±1,689 households within a 1-mile radius with an average household income of $81,775.
Property Facts
| Sale Type | Investment | Property Subtype | Commercial |
| No. Lots | 1 | Proposed Use | Retail |
| Property Type | Land | Total Lot Size | 0.59 AC |
| Zoning | C-2 - General Commercial | ||
| Sale Type | Investment |
| No. Lots | 1 |
| Property Type | Land |
| Property Subtype | Commercial |
| Proposed Use | Retail |
| Total Lot Size | 0.59 AC |
| Zoning | C-2 - General Commercial |
1 Lot Available
Lot
| Price | $135,837 | Lot Size | 0.59 AC |
| Price Per AC | $229,338.17 |
| Price | $135,837 |
| Price Per AC | $229,338.17 |
| Lot Size | 0.59 AC |
The subject property has approximately ±129.6 lineal feet along Bear Valley Road
Description
Property is situated near existing retail developments, office developments and residential developments.
Property Taxes
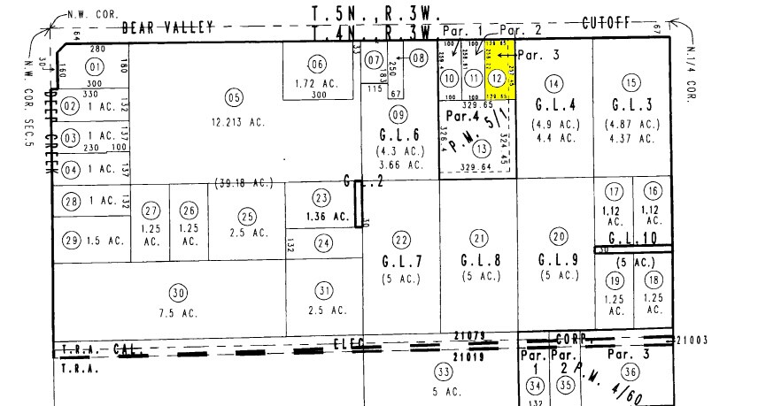
| Parcel Number | 0434-042-12 | Improvements Assessment | $0 |
| Land Assessment | $182,054 | Total Assessment | $182,054 |
Property Taxes
Parcel Number
0434-042-12
Land Assessment
$182,054
Improvements Assessment
$0
Total Assessment
$182,054
1 of 5
Videos
Matterport 3D Exterior
Matterport 3D Tour
Photos
Street View
Street
Map
