Log In/Sign Up
Your email has been sent.
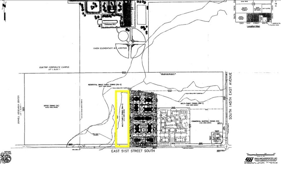
E 51st St
Tulsa, OK 74134
Multi-family zoned land 51st & 145th E Ave · Land For Sale
·
5.15 AC


Executive Summary
Property is approximately .25-.33 miles west of 145th E Ave on 51st.
Property Facts
| Sale Type | Investment | Property Subtype | Commercial |
| No. Lots | 1 | Proposed Use | Multifamily |
| Property Type | Land | Total Lot Size | 5.15 AC |
| Zoning | RM1 | ||
| Sale Type | Investment |
| No. Lots | 1 |
| Property Type | Land |
| Property Subtype | Commercial |
| Proposed Use | Multifamily |
| Total Lot Size | 5.15 AC |
| Zoning | RM1 |
1 Lot Available
Lot
| Price | $427,500 | Lot Size | 5.15 AC |
| Price Per AC | $83,074.23 |
| Price | $427,500 |
| Price Per AC | $83,074.23 |
| Lot Size | 5.15 AC |
Tulsa County Unplatted 19N 14E 28, 5.146 acres currently part of parcel 99428-94-28-56010 refer to loaction map
Description
Vacant Land Zoned RM1 (Residential Mulit-Family) with all utilities available to site Parcel is approximately 238' x 940' North of the Broken Arrow Expressway (103,000+ vpd)
Property Taxes
| Parcel Number | 99428-94-28-56010 | Improvements Assessment | $0 |
| Land Assessment | $465 | Total Assessment | $465 |
Property Taxes
Parcel Number
99428-94-28-56010
Land Assessment
$465
Improvements Assessment
$0
Total Assessment
$465
1 of 3
Videos
Matterport 3D Exterior
Matterport 3D Tour
Photos
Street View
Street
Map
