Log In/Sign Up
Your email has been sent.
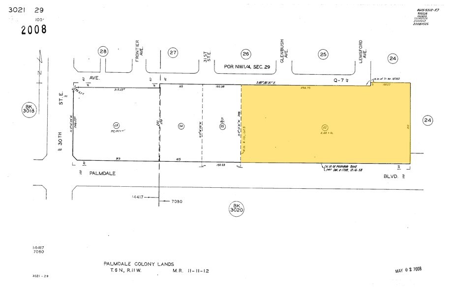
E Palmdale & 32nd St E
Palmdale, CA 93550
Land Across from New Palmdale Space Academy · Land For Sale
·
3.46 AC


Executive Summary
SELLER IS HIGHLY MOTIVATED -- The property consists of approximately 157,717 square feet of land located at the northwest corner of Palmdale Blvd. and 32nd Street East. The subject site enjoys tremendous frontage of approximately 480+/- ft. on Palmdale Blvd. and depth of approximately 310 ft. Also, the property enjoys great access via East Avenue Q7 in the back. The Mixed Use 1 zoning permits a variety of multi-family residential as well as commercial uses on the premises. The property is immediately next to a highly successful Family Dollar and one parcel over from AutoZone. Furthermore, the property is diagonally across the street to the Palmdale Aerospace Academy.
Property Facts
1 Lot Available
Lot
| Price | $1,250,000 | Lot Size | 3.46 AC |
| Price Per AC | $361,271.68 |
| Price | $1,250,000 |
| Price Per AC | $361,271.68 |
| Lot Size | 3.46 AC |
3.46-acre corner parcel at E Palmdale Blvd & 32nd St E with 480 ft frontage, MU1 zoning for mixed-use or commercial development. Adjacent to Family Dollar and near Palmdale Aerospace Academy in an Opportunity Zone. Prime access and visibility.
Property Taxes
| Parcel Number | 3021-029-072 | Improvements Assessment | $0 |
| Land Assessment | $1,196,460 | Total Assessment | $1,196,460 |
Property Taxes
Parcel Number
3021-029-072
Land Assessment
$1,196,460
Improvements Assessment
$0
Total Assessment
$1,196,460
1 of 3
Videos
Matterport 3D Exterior
Matterport 3D Tour
Photos
Street View
Street
Map
