Your email has been sent.
Investment Highlights
- Located in Curtis Bay’s industrial corridor with direct access to I-695
- Positioned within a State Priority Funding Area for potential incentives
- 22-minute drive to Downtown Baltimore and 10.5 miles to BWI Airport
- Zoned W2 Industrial, supporting a wide range of heavy and light industrial uses
- Minutes from the Port of Baltimore and Curtis Bay Industrial Area
- Ideal for outside storage, contractor yards, fabrication, or salvage operations
Executive Summary
Property Facts
| Sale Type | Investment | Property Subtype | Commercial |
| No. Lots | 1 | Total Lot Size | 7.04 AC |
| Property Type | Land | ||
| Zoning | W2 - can refer to a light industrial district, a woodland or flood plain district, or a controlled development area zone. | ||
| Sale Type | Investment |
| No. Lots | 1 |
| Property Type | Land |
| Property Subtype | Commercial |
| Total Lot Size | 7.04 AC |
| Zoning | W2 - can refer to a light industrial district, a woodland or flood plain district, or a controlled development area zone. |
1 Lot Available
Lot
| Lot Size | 7.04 AC |
| Lot Size | 7.04 AC |
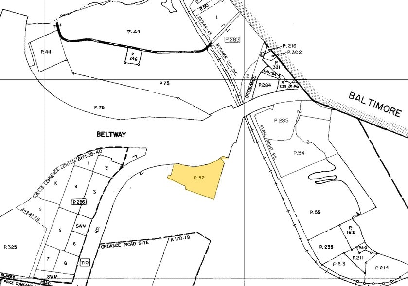
7.04 acres located on East Ordnance Road with easy access to Baltimore Beltway (I-695) on-ramp. Convenient to Baltimore Harbor. Close to MD Route 10 and MD Route 2 (Ritchie Highway).
Description
Located in the heart of Curtis Bay’s industrial corridor, this ±7.04-acre parcel on East Ordnance Road presents a rare opportunity for developers and industrial users seeking proximity to the Port of Baltimore and major transportation arteries. Zoned W2 Industrial, the site supports a wide range of uses including outside storage, warehousing, contractor yards, fabrication, assembly, and automotive recycling or salvage operations. The property benefits from immediate access to I-695, offering seamless connectivity to the Baltimore Beltway and surrounding logistics infrastructure. Its location within a designated State Priority Funding Area enhances its appeal for users seeking potential development incentives. The site is minutes from Curtis Bay Industrial Area and within a short drive to White Marsh Town Center, providing access to both workforce and amenities. Surrounding landmarks include the MDOT MVA Vehicle Emissions Park, Curtis Creek, and the Ship Graveyard, reinforcing the area’s industrial character. The property is also within 22 minutes of Downtown Baltimore and 54 minutes of Washington, D.C., with Baltimore/Washington International Airport just 10.5 miles away. This site offers a compelling canvas for industrial development in a high-demand logistics zone with strong regional access and flexible zoning.
Property Taxes
| Parcel Number | 05-000-90034789 | Improvements Assessment | $1,000 |
| Land Assessment | $1,367,200 | Total Assessment | $1,368,200 |
Property Taxes
Presented by
East Ordnance Rd
Hmm, there seems to have been an error sending your message. Please try again.
Thanks! Your message was sent.




