Log In/Sign Up
Your email has been sent.
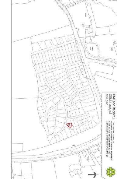
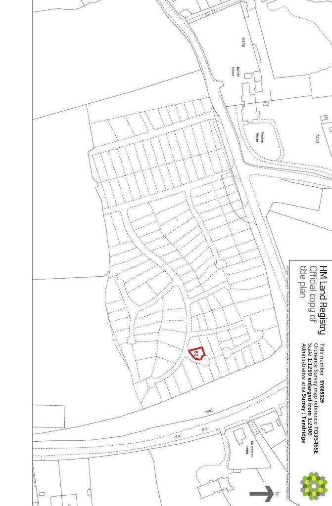
Eastbourne Rd 0.03 Acres of Residential Land Offered at $47,490 in Blindley Heath RH7 6JX



Investment Highlights
- Ideal self-build potential
- Great location
Executive Summary
Pleased to offer to auction Plot 82 Eastbourne Road approximate sizing 120 sqm (1300 sqft).
Property Facts
| Price | $47,490 | No. Lots | 1 |
| Sale Type | Investment | Property Type | Land |
| Sale Condition | Auction Sale | Property Subtype | Residential |
| Tenure | Freehold | Total Lot Size | 0.03 AC |
| Price | $47,490 |
| Sale Type | Investment |
| Sale Condition | Auction Sale |
| Tenure | Freehold |
| No. Lots | 1 |
| Property Type | Land |
| Property Subtype | Residential |
| Total Lot Size | 0.03 AC |
1 Lot Available
Lot
| Price | $47,490 | Lot Size | 0.03 AC |
| Price Per AC | $1,591,268.74 |
| Price | $47,490 |
| Price Per AC | $1,591,268.74 |
| Lot Size | 0.03 AC |
The property is subject to an overage provision and obligations in relation to development of the land.
Description
PLOT 82 approximate size 120 sqm (1300 sqft). The plot is in a superb location just south of the M25 London Orbital Motorway and East of the M23 Motorway. The site is located at a junction with the Main A22 Eastbourne Road and Byers Lane. Nearest postcode: RH7 6JX
1 1
1 of 6
Videos
Matterport 3D Exterior
Matterport 3D Tour
Photos
Street View
Street
Map
1 of 1
Presented by
Eastbourne Rd
Already a member? Log In
Hmm, there seems to have been an error sending your message. Please try again.
Thanks! Your message was sent.
