Log In/Sign Up
Your email has been sent.
Executive Summary
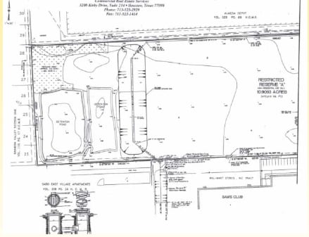
Fuqua Land (7.7663 Acres) For Sale
Property Facts
| Price | $4,100,000 | Property Type | Land |
| Sale Type | Investment or Owner User | Property Subtype | Commercial |
| No. Lots | 1 | Total Lot Size | 7.77 AC |
| Zoning | None | ||
| Price | $4,100,000 |
| Sale Type | Investment or Owner User |
| No. Lots | 1 |
| Property Type | Land |
| Property Subtype | Commercial |
| Total Lot Size | 7.77 AC |
| Zoning | None |
1 Lot Available
Lot
| Price | $4,100,000 | Lot Size | 7.77 AC |
| Price Per AC | $527,921.99 |
| Price | $4,100,000 |
| Price Per AC | $527,921.99 |
| Lot Size | 7.77 AC |
Fuqua Land (7.7663 Acres) For Sale
Property Taxes
| Parcel Number | 1174460010010 | Improvements Assessment | $0 |
| Land Assessment | $840,660 | Total Assessment | $840,660 |
Property Taxes
Parcel Number
1174460010010
Land Assessment
$840,660
Improvements Assessment
$0
Total Assessment
$840,660
1 of 4
Videos
Matterport 3D Exterior
Matterport 3D Tour
Photos
Street View
Street
Map
Presented by
Fuqua St
Already a member? Log In
Hmm, there seems to have been an error sending your message. Please try again.
Thanks! Your message was sent.
Your message has been sent!
Activate your LoopNet account now to track properties, get real-time alerts, save time on future inquiries, and more.




