Log In/Sign Up
Your email has been sent.
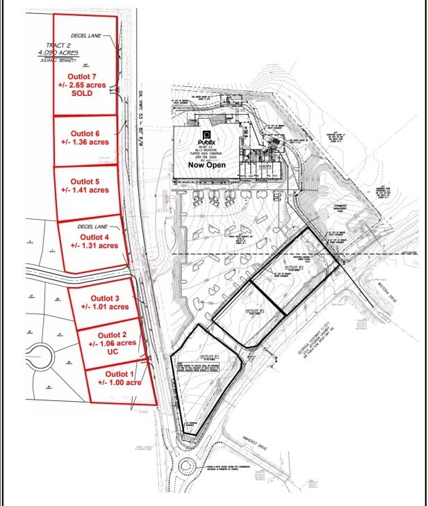
GA Hwy 53 & GA Hwy 11
Winder, GA 30680
Land For Lease

Highlights
- Delivery Fall/Winter 2023
- Zoned B-1 City of Winder
- Across Hwy 53 from new Publix at Winder Hill
Property Overview
Outlet Parcel Located just north of Northeast Georgia Health System Barrow with 56 beds & more than 200 physicians & staff
Property Facts
| Total Space Available | 1.01 AC | Property Subtype | Commercial |
| Property Type | Land | Proposed Use | Commercial |
| Total Space Available | 1.01 AC |
| Property Type | Land |
| Property Subtype | Commercial |
| Proposed Use | Commercial |
1 of 2
Videos
Matterport 3D Exterior
Matterport 3D Tour
Photos
Street View
Street
Map
