Log In/Sign Up
Your email has been sent.
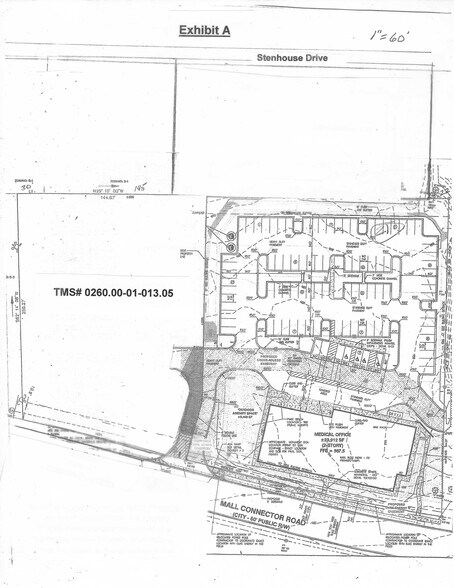
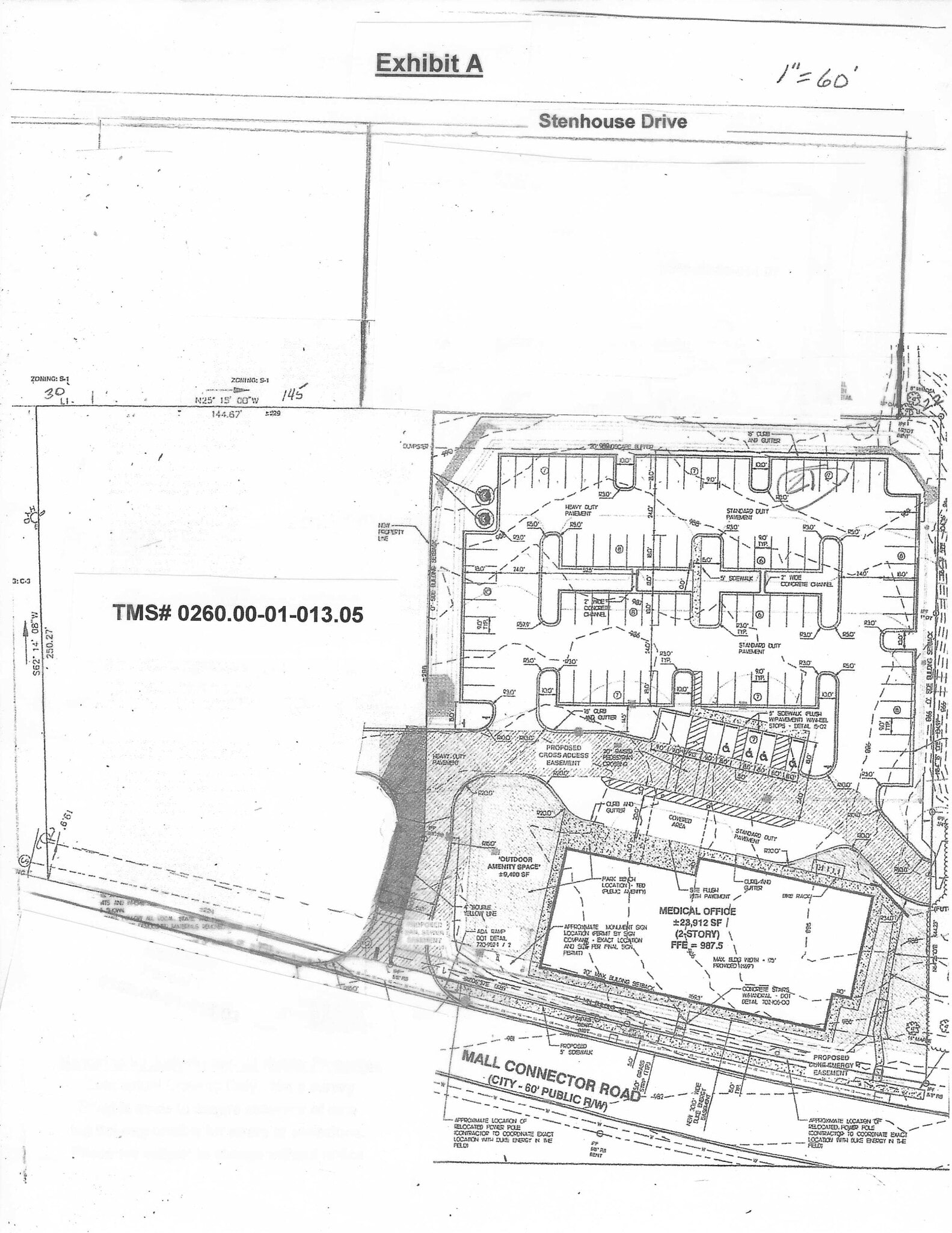
Halton Rd - Halton @ Mall Connector roads 1.3 Acres of Commercial Land in Greenville, SC 29607

EXECUTIVE SUMMARY
1.3-acre Parcel (TMS# 0260.00-01-013.05) available with Mall Connector drive entrance in place.
PROPERTY FACTS
| Sale Type | Investment or Owner User | Proposed Use | |
| No. Lots | 1 | Total Lot Size | 1.30 AC |
| Property Type | Land | Cross Streets | Mall Connector Road |
| Property Subtype | Commercial | ||
| Zoning | B-G | ||
| Sale Type | Investment or Owner User |
| No. Lots | 1 |
| Property Type | Land |
| Property Subtype | Commercial |
| Proposed Use | |
| Total Lot Size | 1.30 AC |
| Cross Streets | Mall Connector Road |
| Zoning | B-G |
1 LOT AVAILABLE
Lot Parcel C
| Lot Size | 1.30 AC |
| Lot Size | 1.30 AC |
Conveniently located between the Haywood Mall and Woodruff Road retail corridors, Eastside office & medical facilities and the growing Verdae development.
1 1
PROPERTY TAXES
| Parcel Number | 0260.00-01-013.05 | Improvements Assessment | $0 |
| Land Assessment | $20,100 | Total Assessment | $20,100 |
PROPERTY TAXES
Parcel Number
0260.00-01-013.05
Land Assessment
$20,100
Improvements Assessment
$0
Total Assessment
$20,100
1 of 2
VIDEOS
MATTERPORT 3D EXTERIOR
MATTERPORT 3D TOUR
PHOTOS
STREET VIEW
STREET
MAP
1 of 1
Presented by
J.J. Hunter Properties
Halton Rd - Halton @ Mall Connector roads
Already a member? Log In
Hmm, there seems to have been an error sending your message. Please try again.
Thanks! Your message was sent.
