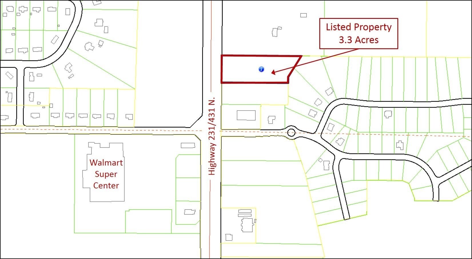
0 Highway 231/431 N | Hazel Green, AL 35750
This feature is unavailable at the moment.
We apologize, but the feature you are trying to access is currently unavailable. We are aware of this issue and our team is working hard to resolve the matter.
Please check back in a few minutes. We apologize for the inconvenience.
- LoopNet Team
This Land Property is no longer advertised on LoopNet.com.
0 Highway 231/431 N
Hazel Green, AL 35750
Land For Sale
·
3.30 AC

PROPERTY FACTS
| Property Type | Land | Proposed Use | Pasture Ranch |
| Property Subtype | Agricultural | Total Lot Size | 3.30 AC |
| Property Type | Land |
| Property Subtype | Agricultural |
| Proposed Use | Pasture Ranch |
| Total Lot Size | 3.30 AC |
PROPERTY TAXES
| Parcel Number | 03-04-18-0-000-045.003 | Improvements Assessment | $0 |
| Land Assessment | $34,620 | Total Assessment | $34,620 |
PROPERTY TAXES
Parcel Number
03-04-18-0-000-045.003
Land Assessment
$34,620
Improvements Assessment
$0
Total Assessment
$34,620
Listing ID: 9031562
Date on Market: 9/6/2017
Last Updated:
Address: 0 Highway 231/431 N, Hazel Green, AL 35750
The Land Property at 0 Highway 231/431 N, Hazel Green, AL 35750 is no longer being advertised on LoopNet.com. Contact the broker for information on availability.
LAND PROPERTIES IN NEARBY NEIGHBORHOODS
1 of 1
VIDEOS
MATTERPORT 3D EXTERIOR
MATTERPORT 3D TOUR
PHOTOS
STREET VIEW
STREET
MAP

Link copied
Your LoopNet account has been created!
Thank you for your feedback.
Please Share Your Feedback
We welcome any feedback on how we can improve LoopNet to better serve your needs.X
{{ getErrorText(feedbackForm.starRating, "rating") }}
255 character limit ({{ remainingChars() }} charactercharacters remainingover)
{{ getErrorText(feedbackForm.msg, "rating") }}
{{ getErrorText(feedbackForm.fname, "first name") }}
{{ getErrorText(feedbackForm.lname, "last name") }}
{{ getErrorText(feedbackForm.phone, "phone number") }}
{{ getErrorText(feedbackForm.phonex, "phone extension") }}
{{ getErrorText(feedbackForm.email, "email address") }}
You can provide feedback any time using the Help button at the top of the page.