Log In/Sign Up
Your email has been sent.
Homestead Ave
Holyoke, MA 01040
23 AC for Rehab. Center / Resid. Care / SF · Land For Sale
·
23.00 AC


Executive Summary
Beautiful Location for a Rehabilitation Center / Residential Care / Family Day Care Home / Child Care Facility or Residential Subdivision
Zoned Residential 1 A
Total Land 23 AC
Buildable AC. TBD
Concept Plan for 28 Single Family Residential Subdivision
Abuts Route 91
Easy Highway Access
Neighbors include Amazon, Cracker Barrel Old Country Store, Fairfield Inn & Suites.
Zoned Residential 1 A
Total Land 23 AC
Buildable AC. TBD
Concept Plan for 28 Single Family Residential Subdivision
Abuts Route 91
Easy Highway Access
Neighbors include Amazon, Cracker Barrel Old Country Store, Fairfield Inn & Suites.
Property Facts
| Sale Type | Investment | Property Subtype | Residential |
| No. Lots | 1 | Proposed Use | |
| Property Type | Land | Total Lot Size | 23.00 AC |
| Zoning | Residential 1 A - R- 1A. Residential 1 A | ||
| Sale Type | Investment |
| No. Lots | 1 |
| Property Type | Land |
| Property Subtype | Residential |
| Proposed Use | |
| Total Lot Size | 23.00 AC |
| Zoning | Residential 1 A - R- 1A. Residential 1 A |
1 Lot Available
Lot
| Lot Size | 23.00 AC |
| Lot Size | 23.00 AC |
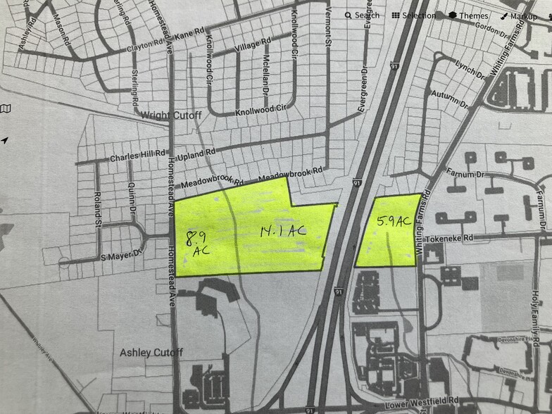
Former Whiting Estates ~ Beautiful 23 + AC Parcel, High and Dry Lot ~ Extraordinary Views, Overlooking Holyoke and Springfield. A brook divides the property into a 14 AC and 9 AC section. Town Water and Sewer.
Description
Beautiful 23 + AC Parcel, Former Whiting Estates, High and Dry Lot with Extraordinary Views, Overlooking Holyoke and views towards Springfield. A brook divides the property into a 14 AC and 9 AC section. Town Water and Sewer plus the property has its own Artesian Well and a Fire Hydrant, (a 8 inch water main to the property off of the cities waterline). 2 points of entry, access off Homestead Ave. and Meadowbrook Rd. with frontage on Route 91.
1 of 5
Videos
Matterport 3D Exterior
Matterport 3D Tour
Photos
Street View
Street
Map
