Log In/Sign Up
Enter your email to login or create a free account
This feature is unavailable at the moment.
We apologize, but the feature you are trying to access is currently unavailable. We are aware of this issue and our team is working hard to resolve the matter.
Please check back in a few minutes. We apologize for the inconvenience.
- LoopNet Team
This Land Property is no longer advertised on LoopNet.com.
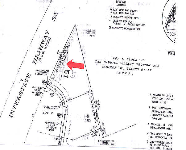
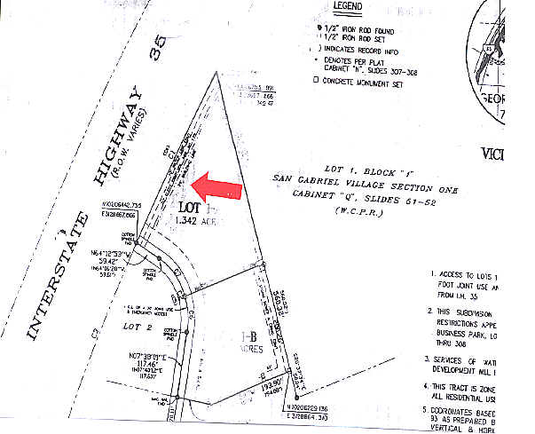
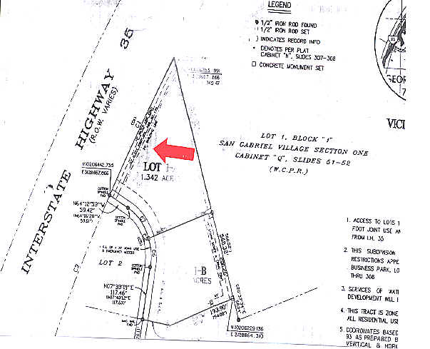
IH 35
Georgetown, TX 78628
Acreage · Land For Sale
·
1.38 AC

Property Facts
| Property Type | Land | Proposed Use | Commercial |
| Property Subtype | Commercial | Total Lot Size | 1.38 AC |
| Zoning | C-3 | ||
| Property Type | Land |
| Property Subtype | Commercial |
| Proposed Use | Commercial |
| Total Lot Size | 1.38 AC |
| Zoning | C-3 |
Property Taxes
| Parcel Number | R364053 | Improvements Assessment | $0 |
| Land Assessment | $10,318 | Total Assessment | $10,318 |
Property Taxes
Parcel Number
R364053
Land Assessment
$10,318
Improvements Assessment
$0
Total Assessment
$10,318
Listing ID: 8708309
Date on Market: 8/17/2017
Last Updated:
Address: IH 35, Georgetown, TX 78628
The Georgetown-Leander Land Property at IH 35, Georgetown, TX 78628 is no longer being advertised on LoopNet.com. Contact the broker for information on availability.
NEARBY LISTINGS
- 2931 FM 1460, Georgetown TX
- 30.574725830679448, -97.68347522470974, Georgetown TX
- 30.575039893887933, -97.68382927629399, Georgetown TX
- 701 Westinghouse Rd, Georgetown TX
- 400-470 County Road 152, Georgetown TX
- 1701 Lakeway Drive, Georgetown TX
- 3625 N Interstate 35, Georgetown TX
- 760 County Road 152, Georgetown TX
- 3900 Williams Dr, Georgetown TX
- 4138 Williams Dr, Georgetown TX
- 2701 N Austin Ave, Georgetown TX
- 112 Shell Rd, Georgetown TX
- 4820 Williams Dr, Georgetown TX
- 2550 N Interstate 35, Georgetown TX
- SEQ Austin Ave, Georgetown TX
1 of 1
Videos
Matterport 3D Exterior
Matterport 3D Tour
Photos
Street View
Street
Map

Link copied
Your LoopNet account has been created!
Thank you for your feedback.
Please Share Your Feedback
We welcome any feedback on how we can improve LoopNet to better serve your needs.X
{{ getErrorText(feedbackForm.starRating, "rating") }}
255 character limit ({{ remainingChars() }} charactercharacters remainingover)
{{ getErrorText(feedbackForm.msg, "rating") }}
{{ getErrorText(feedbackForm.fname, "first name") }}
{{ getErrorText(feedbackForm.lname, "last name") }}
{{ getErrorText(feedbackForm.phone, "phone number") }}
{{ getErrorText(feedbackForm.phonex, "phone extension") }}
{{ getErrorText(feedbackForm.email, "email address") }}
You can provide feedback any time using the Help button at the top of the page.