Hwy 20 | Canton, GA 30114
This feature is unavailable at the moment.
We apologize, but the feature you are trying to access is currently unavailable. We are aware of this issue and our team is working hard to resolve the matter.
Please check back in a few minutes. We apologize for the inconvenience.
- LoopNet Team
This Land Property is no longer advertised on LoopNet.com.
Hwy 20
Canton, GA 30114
Land For Sale
·
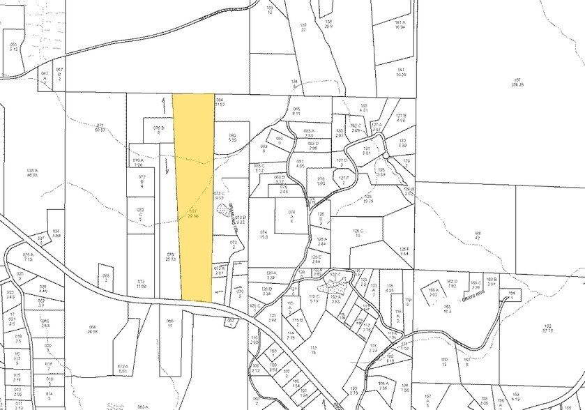
39.65 AC

PROPERTY FACTS
| Property Type | Land | Proposed Use | Single Family Development |
| Property Subtype | Residential | Total Lot Size | 39.65 AC |
| Zoning | R-40 | ||
| Property Type | Land |
| Property Subtype | Residential |
| Proposed Use | Single Family Development |
| Total Lot Size | 39.65 AC |
| Zoning | R-40 |
PROPERTY TAXES
| Parcel Number | 022N12-00000-077-000-0000 | Improvements Assessment | $0 |
| Land Assessment | $285,680 | Total Assessment | $285,680 |
PROPERTY TAXES
Parcel Number
022N12-00000-077-000-0000
Land Assessment
$285,680
Improvements Assessment
$0
Total Assessment
$285,680
Listing ID: 7383064
Date on Market: 5/25/2017
Last Updated:
Address: Hwy 20, Canton, GA 30114
The Land Property at Hwy 20, Canton, GA 30114 is no longer being advertised on LoopNet.com. Contact the broker for information on availability.
1 of 1
VIDEOS
MATTERPORT 3D EXTERIOR
MATTERPORT 3D TOUR
PHOTOS
STREET VIEW
STREET
MAP

Link copied
Your LoopNet account has been created!
Thank you for your feedback.
Please Share Your Feedback
We welcome any feedback on how we can improve LoopNet to better serve your needs.X
{{ getErrorText(feedbackForm.starRating, "rating") }}
255 character limit ({{ remainingChars() }} charactercharacters remainingover)
{{ getErrorText(feedbackForm.msg, "rating") }}
{{ getErrorText(feedbackForm.fname, "first name") }}
{{ getErrorText(feedbackForm.lname, "last name") }}
{{ getErrorText(feedbackForm.phone, "phone number") }}
{{ getErrorText(feedbackForm.phonex, "phone extension") }}
{{ getErrorText(feedbackForm.email, "email address") }}
You can provide feedback any time using the Help button at the top of the page.