Log In/Sign Up
Your email has been sent.
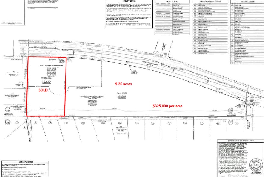
Lake Joy Road - Cohen Walker 6.5 - 9.26 Acre Commercial Land Lots Offered at $2,112,500 - $3,009,500 Per Lot in Warner Robins, GA 31088


Investment Highlights
- Close to shopping, restaurants, and retail stores
Executive Summary
Commercial land available
Can be subdivided or purchased as a whole
$325,000 per acre
Close to shopping, restaurants, and retail stores
Can be subdivided or purchased as a whole
$325,000 per acre
Close to shopping, restaurants, and retail stores
Property Facts
| Price | $2,112,500 - $5,122,000 | Property Subtype | Commercial |
| Sale Type | Investment | Proposed Use | |
| No. Lots | 2 | Total Lot Size | 15.76 AC |
| Property Type | Land | ||
| Zoning | C2 - Heavy Commercial | ||
| Price | $2,112,500 - $5,122,000 |
| Sale Type | Investment |
| No. Lots | 2 |
| Property Type | Land |
| Property Subtype | Commercial |
| Proposed Use | |
| Total Lot Size | 15.76 AC |
| Zoning | C2 - Heavy Commercial |
2 Lots Available
Lot
| Price | $2,112,500 | Lot Size | 6.50 AC |
| Price Per AC | $325,000.00 |
| Price | $2,112,500 |
| Price Per AC | $325,000.00 |
| Lot Size | 6.50 AC |
6.5 acre commercial land tract city utilities $325,000 per acre can be subdivided as needed or purchased as a whole
Lot
| Price | $3,009,500 | Lot Size | 9.26 AC |
| Price Per AC | $325,000.00 |
| Price | $3,009,500 |
| Price Per AC | $325,000.00 |
| Lot Size | 9.26 AC |
9.26 acre commercial land tract city utilities $325,000 per acre can be subdivided as needed or purchased as a whole
Fairly walkable
40/100
Exceptionally drivable
90/100
Fairly bikeable
40/100
1 of 3
Videos
Matterport 3D Exterior
Matterport 3D Tour
Photos
Street View
Street
Map
Presented by
Lake Joy Road - Cohen Walker
Already a member? Log In
Hmm, there seems to have been an error sending your message. Please try again.
Thanks! Your message was sent.

