Log In/Sign Up
Your email has been sent.
Lot 2R Lot 2R Cimarron Drive Dr
Box Elder, SD 57719
Highway Service - Lot 2R Cimarron Drive · Land For Sale
·
0.89 AC


Investment Highlights
- Busy I-90 travel stop
- Fast growing area with Ellsworth AFB doubling in size, growing Douglas School District and residential/commercial expansion
- Highway access with on and off ramps in both directions
Executive Summary
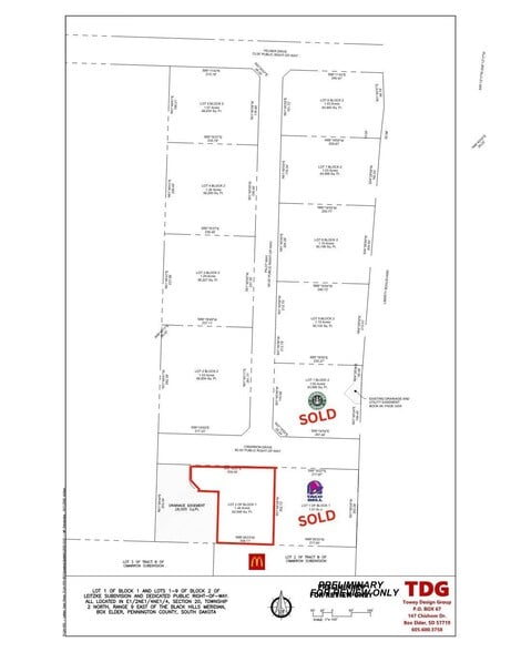
Prime Commercial Lot for Sale in Box Elder’s Fastest-Growing Corridor. If you’re searching for a high-traffic, high-visibility commercial lot in a rapidly developing community, look no further. Lot 2R is a .89-acre interior lot, immediately West of the Taco Bell lot, and is ideally positioned just north of Interstate 90 and dynamic neighbors, including McDonald's, Starbucks, and Taco Bell (2026 construction start). Located in the Leitzke Subdivision—the newest commercial development in Box Elder, SD—this property sits along the west side of Liberty Boulevard, a key connector road with established infrastructure. Paved roads, curb and gutter, and all utilities are in place and stubbed to the lot line. The lot is fully surveyed and platted, ready for immediate development. Zoned "Highway Service," this property allows for a wide range of commercial uses (see Appendix A in associated documents), making it an excellent site for restaurants, retail, service businesses, or professional offices. Listed by Randy Olivier, RE/MAX Advantage Commercial, 605-430-6246.
Why Box Elder? Strategic Location: Just minutes east of Rapid City, between the Black Hills and the Badlands, with easy access to I-90.Explosive Growth: One of the fastest-growing cities in South Dakota, with the population more than tripling since 2000. Economic Drivers: Home to Ellsworth Air Force Base, a major economic anchor with future growth fueled by the B-21 Raider mission. Community Appeal: Affordable housing, quality schools, and a mix of military and civilian residents create a diverse, family-friendly environment. Recreation &Lifestyle: Endless outdoor adventure opportunities, small-town charm, and access to the region’s top attractions.
Why Box Elder? Strategic Location: Just minutes east of Rapid City, between the Black Hills and the Badlands, with easy access to I-90.Explosive Growth: One of the fastest-growing cities in South Dakota, with the population more than tripling since 2000. Economic Drivers: Home to Ellsworth Air Force Base, a major economic anchor with future growth fueled by the B-21 Raider mission. Community Appeal: Affordable housing, quality schools, and a mix of military and civilian residents create a diverse, family-friendly environment. Recreation &Lifestyle: Endless outdoor adventure opportunities, small-town charm, and access to the region’s top attractions.
Property Facts
| Sale Type | Investment | Proposed Use | |
| No. Lots | 1 | Total Lot Size | 0.89 AC |
| Property Type | Land | Cross Streets | Liberty Blvd |
| Property Subtype | Commercial | ||
| Zoning | Highway Service - Highway Service | ||
| Sale Type | Investment |
| No. Lots | 1 |
| Property Type | Land |
| Property Subtype | Commercial |
| Proposed Use | |
| Total Lot Size | 0.89 AC |
| Cross Streets | Liberty Blvd |
| Zoning | Highway Service - Highway Service |
1 Lot Available
Lot
| Price | $350,000 | Lot Size | 0.89 AC |
| Price Per AC | $393,258.43 |
| Price | $350,000 |
| Price Per AC | $393,258.43 |
| Lot Size | 0.89 AC |
Prime Commercial Lot for Sale in Box Elder’s Fastest-Growing Corridor. Lot 2R is a .89-acre interior lot, West of the Taco Bell lot, and is ideally positioned just north of Interstate 90 and neighbors, including McDonald's, Starbucks and Love's.
1 of 14
Videos
Matterport 3D Exterior
Matterport 3D Tour
Photos
Street View
Street
Map
