Log In/Sign Up
Your email has been sent.
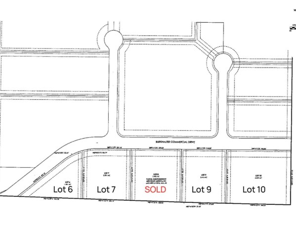
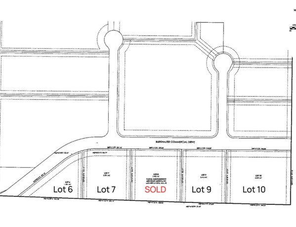
Lot 9 Burkhalter Industrial Drive 2.62 Acres of Commercial Land Offered at $262,091 in Maumelle, AR 72113

Executive Summary
Business growth opportunities with lots on Burkhalter Industrial Drive, North Little Rock, Arkansas. Endless potential for development, making it an ideal investment for a growing or new business.
Property Facts
| Price | $262,091 | Property Subtype | Commercial |
| Sale Type | Investment | Proposed Use | Commercial |
| No. Lots | 1 | Total Lot Size | 2.62 AC |
| Property Type | Land |
| Price | $262,091 |
| Sale Type | Investment |
| No. Lots | 1 |
| Property Type | Land |
| Property Subtype | Commercial |
| Proposed Use | Commercial |
| Total Lot Size | 2.62 AC |
1 Lot Available
Lot
| Price | $262,091 | Lot Size | 2.62 AC |
| Price Per AC | $100,034.73 |
| Price | $262,091 |
| Price Per AC | $100,034.73 |
| Lot Size | 2.62 AC |
1 1
Somewhat walkable
20/100
Exceptionally drivable
100/100
Minimal public transit
10/100
Fairly bikeable
40/100
Property Taxes
| Parcel Number | 42M-922-00-005-00 | Improvements Assessment | $0 |
| Land Assessment | $67,727 | Total Assessment | $67,727 |
Property Taxes
Parcel Number
42M-922-00-005-00
Land Assessment
$67,727
Improvements Assessment
$0
Total Assessment
$67,727
1 of 2
Videos
Matterport 3D Exterior
Matterport 3D Tour
Photos
Street View
Street
Map
1 of 1
Presented by
Lot 9 Burkhalter Industrial Drive
Already a member? Log In
Hmm, there seems to have been an error sending your message. Please try again.
Thanks! Your message was sent.
