Log In/Sign Up
Your email has been sent.
Executive Summary
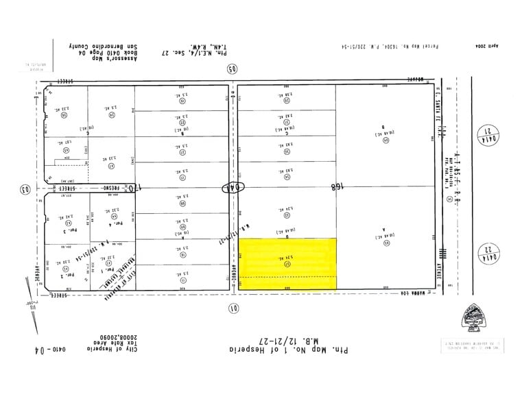
±5.24 acres of vacant land zoned General Industrial (I-G), located at the corner of C Avenue and Mauna Loa Street in the City of Hesperia. Positioned within the city’s established industrial district—bounded by Santa Fe Avenue East and I Avenue—this parcel benefits from paved access along C Avenue and a portion of Mauna Loa Street.
The General Industrial zoning supports a full range of heavy industrial uses, including manufacturing, fabrication, assembly, warehousing, distribution, and outdoor storage—making it well-suited for an owner/user or investor looking to capitalize on the region’s strong industrial momentum. The site is also located near the G Avenue Rail Spur, offering potential future rail connectivity for logistics and distribution-focused operations.
The surrounding industrial market is experiencing low vacancy rates and increased demand, driven by regional growth and proximity to major transportation corridors, including I-15 and US-395. Planned infrastructure improvements under the Hesperia General Plan Update and the proposed High Desert Corridor further enhance the site’s long-term potential.
Seller may consider offering financing with a minimum 40% down, providing a flexible opportunity for qualified buyers to acquire a strategically located parcel in one of Hesperia’s most active industrial hubs. Buyers to independently verify all utilities, zoning, and permitted uses.
The General Industrial zoning supports a full range of heavy industrial uses, including manufacturing, fabrication, assembly, warehousing, distribution, and outdoor storage—making it well-suited for an owner/user or investor looking to capitalize on the region’s strong industrial momentum. The site is also located near the G Avenue Rail Spur, offering potential future rail connectivity for logistics and distribution-focused operations.
The surrounding industrial market is experiencing low vacancy rates and increased demand, driven by regional growth and proximity to major transportation corridors, including I-15 and US-395. Planned infrastructure improvements under the Hesperia General Plan Update and the proposed High Desert Corridor further enhance the site’s long-term potential.
Seller may consider offering financing with a minimum 40% down, providing a flexible opportunity for qualified buyers to acquire a strategically located parcel in one of Hesperia’s most active industrial hubs. Buyers to independently verify all utilities, zoning, and permitted uses.
Property Facts
| Price | $450,000 | Property Subtype | Commercial |
| Sale Type | Investment or Owner User | Total Lot Size | 5.24 AC |
| No. Lots | 1 | Cross Streets | C Avenue |
| Property Type | Land | ||
| Zoning | General Industrial (I-G) - General Industrial zoning supports a full range of heavy industrial uses, including manufacturing, fabrication, assembly, warehousing, distribution. | ||
| Price | $450,000 |
| Sale Type | Investment or Owner User |
| No. Lots | 1 |
| Property Type | Land |
| Property Subtype | Commercial |
| Total Lot Size | 5.24 AC |
| Cross Streets | C Avenue |
| Zoning | General Industrial (I-G) - General Industrial zoning supports a full range of heavy industrial uses, including manufacturing, fabrication, assembly, warehousing, distribution. |
1 Lot Available
Lot 37
| Price | $450,000 | Lot Size | 5.24 AC |
| Price Per AC | $85,877.86 |
| Price | $450,000 |
| Price Per AC | $85,877.86 |
| Lot Size | 5.24 AC |
Rectangular lot consisting of ±5.24 acres at the corner of Mauna Loa Street and C Avenue.
1 1
Property Taxes
| Parcel Number | 0410-041-37 | Improvements Assessment | $0 |
| Land Assessment | $133,251 | Total Assessment | $133,251 |
Property Taxes
Parcel Number
0410-041-37
Land Assessment
$133,251
Improvements Assessment
$0
Total Assessment
$133,251
1 of 3
Videos
Matterport 3D Exterior
Matterport 3D Tour
Photos
Street View
Street
Map
1 of 1
Presented by
Mauna Loa St
Already a member? Log In
Hmm, there seems to have been an error sending your message. Please try again.
Thanks! Your message was sent.
Your message has been sent!
Activate your LoopNet account now to track properties, get real-time alerts, save time on future inquiries, and more.


