Log In/Sign Up
Your email has been sent.
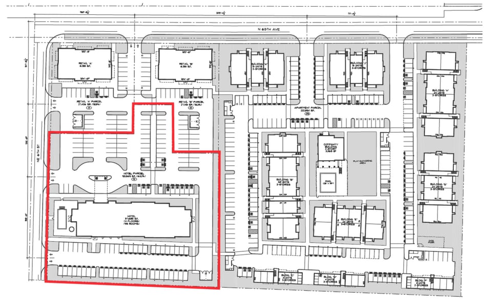
NE 65th Ave - Hotel Development Site - Ridgefield, WA 2.14 Acres of Commercial Land Offered at $2,500,000 in Ridgefield, WA 98642



Executive Summary
MAJ Commercial Real Estate is pleased to present a
strategic hotel development opportunity in Ridgefield,
WA, located just north of the newly constructed Clark
College campus. This four-story project is planned for 101
well-appointed rooms and is ideally positioned to capture
the growing demand generated by the region’s rapid
economic expansion, strong visitor traffic, and emerging
educational and corporate hubs.
The property’s prime location adjacent to Clark College
offers direct access to a steady flow of student, faculty, and
visitor activity. Its proximity to Interstate 5 ensures excellent
visibility and connectivity to Portland, Vancouver, and the
rapidly growing Clark County region. The site’s design and
scale make it ideal for a national or boutique hotel brand
seeking a modern, high-visibility presence in a thriving
submarket.
Surrounded by a dynamic mix of new development,
including retail, dining, entertainment, and residential
communities, the area offers strong fundamentals for
sustained hotel performance. Ridgefield has become a
sought-after destination for visitors attending events at
the nearby ilani Casino, Cascade’s Amphitheater, exploring
regional wineries, or doing business within the expanding
industrial and business parks.
With its unmatched location, direct adjacency to a major
educational institution, and growing local demand
drivers, this strategic 101-room hotel project offers a rare
opportunity for an investor or operator to secure a foothold
in one of Southwest Washington’s fastest-growing markets.
strategic hotel development opportunity in Ridgefield,
WA, located just north of the newly constructed Clark
College campus. This four-story project is planned for 101
well-appointed rooms and is ideally positioned to capture
the growing demand generated by the region’s rapid
economic expansion, strong visitor traffic, and emerging
educational and corporate hubs.
The property’s prime location adjacent to Clark College
offers direct access to a steady flow of student, faculty, and
visitor activity. Its proximity to Interstate 5 ensures excellent
visibility and connectivity to Portland, Vancouver, and the
rapidly growing Clark County region. The site’s design and
scale make it ideal for a national or boutique hotel brand
seeking a modern, high-visibility presence in a thriving
submarket.
Surrounded by a dynamic mix of new development,
including retail, dining, entertainment, and residential
communities, the area offers strong fundamentals for
sustained hotel performance. Ridgefield has become a
sought-after destination for visitors attending events at
the nearby ilani Casino, Cascade’s Amphitheater, exploring
regional wineries, or doing business within the expanding
industrial and business parks.
With its unmatched location, direct adjacency to a major
educational institution, and growing local demand
drivers, this strategic 101-room hotel project offers a rare
opportunity for an investor or operator to secure a foothold
in one of Southwest Washington’s fastest-growing markets.
Property Facts
1 Lot Available
Lot 214224000
| Price | $2,500,000 | Lot Size | 2.14 AC |
| Price Per AC | $1,168,224.30 |
| Price | $2,500,000 |
| Price Per AC | $1,168,224.30 |
| Lot Size | 2.14 AC |
1 1
Somewhat walkable
20/100
Exceptionally drivable
100/100
Limited public transit
30/100
Somewhat bikeable
30/100
Property Taxes
| Parcel Numbers | Improvements Assessment | $0 | |
| Land Assessment | $1,924,800 | Total Assessment | $1,924,800 |
Property Taxes
Parcel Numbers
Land Assessment
$1,924,800
Improvements Assessment
$0
Total Assessment
$1,924,800
1 of 5
Videos
Matterport 3D Exterior
Matterport 3D Tour
Photos
Street View
Street
Map
1 of 1
Presented by
Company Not Provided
NE 65th Ave - Hotel Development Site - Ridgefield, WA
Already a member? Log In
Hmm, there seems to have been an error sending your message. Please try again.
Thanks! Your message was sent.
