Log In/Sign Up
Your email has been sent.
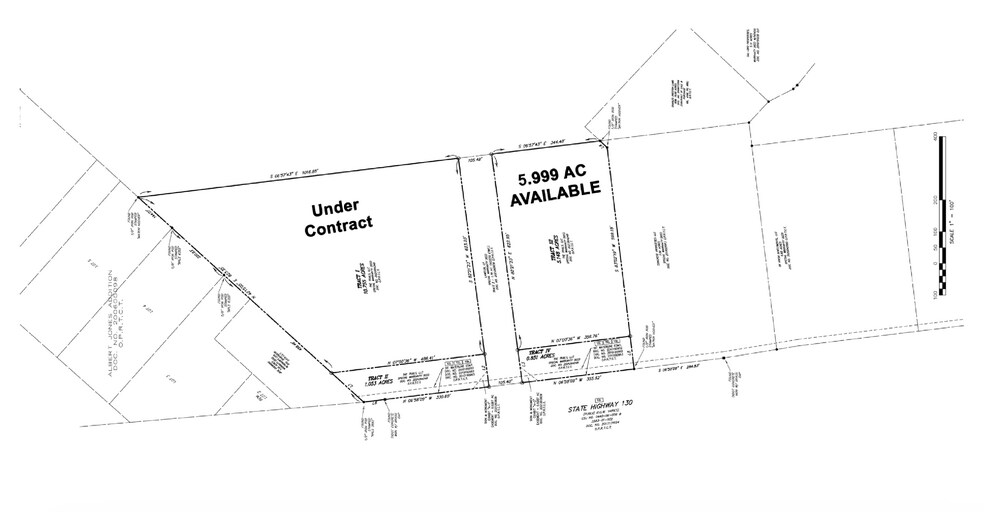
NEC TX-183 & LAWS rd - MUSTANG RIDGE COMMERCIAL PADS 5.99 - 11.8 Acre Commercial Land Lots Offered at $1,956,933 - $3,855,060 Per Lot in Mustang Ridge, TX 78610



EXECUTIVE SUMMARY
5.999 AC and 11.808 AC
5.999 AC available and 11.808 AC (under contract) in Mustang Ridge, just south of Austin
Located on Highway 183 at the intersection of Laws Rd
Zoned for Commercial Uses (Potential for MF Zoning -Multifamily Development)
Waste water available; Water easements signed
Located in booming Mustang Ridge with over 1,000ft of combined highway frontage
Easy access to TX-130/Hwy 183 & TX-45
5.999 AC available and 11.808 AC (under contract) in Mustang Ridge, just south of Austin
Located on Highway 183 at the intersection of Laws Rd
Zoned for Commercial Uses (Potential for MF Zoning -Multifamily Development)
Waste water available; Water easements signed
Located in booming Mustang Ridge with over 1,000ft of combined highway frontage
Easy access to TX-130/Hwy 183 & TX-45
PROPERTY FACTS
| Price | $1,956,933 - $5,811,993 | Property Subtype | Commercial |
| Sale Type | Investment | Total Lot Size | 17.79 AC |
| No. Lots | 2 | Opportunity Zone |
Yes
|
| Property Type | Land | ||
| Zoning | Commercial - Zoned for Commercial Uses (Potential for MF Zoning -Multifamily Development) | ||
| Price | $1,956,933 - $5,811,993 |
| Sale Type | Investment |
| No. Lots | 2 |
| Property Type | Land |
| Property Subtype | Commercial |
| Total Lot Size | 17.79 AC |
| Opportunity Zone |
Yes |
| Zoning | Commercial - Zoned for Commercial Uses (Potential for MF Zoning -Multifamily Development) |
2 LOTS AVAILABLE
Lot 1
| Price | $1,956,933 | Lot Size | 5.99 AC |
| Price Per AC | $326,700.00 |
| Price | $1,956,933 |
| Price Per AC | $326,700.00 |
| Lot Size | 5.99 AC |
Lot 2
| Price | $3,855,060 | Lot Size | 11.80 AC |
| Price Per AC | $326,700.00 |
| Price | $3,855,060 |
| Price Per AC | $326,700.00 |
| Lot Size | 11.80 AC |
UNDER CONTRACT
1 1
1 of 7
VIDEOS
MATTERPORT 3D EXTERIOR
MATTERPORT 3D TOUR
PHOTOS
STREET VIEW
STREET
MAP
1 of 1
Presented by
NEC TX-183 & LAWS rd - MUSTANG RIDGE COMMERCIAL PADS
Already a member? Log In
Hmm, there seems to have been an error sending your message. Please try again.
Thanks! Your message was sent.
