Log In/Sign Up
Your email has been sent.
Patricia Ln
Perris, CA 92570
Frontage of I-215 Freeway · Land For Sale
·
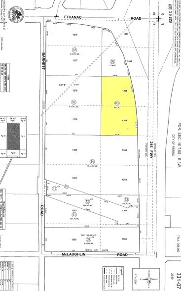
5.82 AC


PROPERTY FACTS
1 LOT AVAILABLE
Lot
| Lot Size | 5.82 AC |
| Lot Size | 5.82 AC |
5.82 gross Acres fronting the I-215 freeway • Immediate Acce5.82 gross Acres fronting the I-215 freeway • Immediate Access to the I-215 via Ethanac Road • Zoned Commercial Community • APN# 331-070-003 • Growing Area with New and Planned Development
PROPERTY TAXES
| Parcel Number | 331-070-003 | Improvements Assessment | $0 |
| Land Assessment | $4,488,000 | Total Assessment | $4,488,000 |
PROPERTY TAXES
Parcel Number
331-070-003
Land Assessment
$4,488,000
Improvements Assessment
$0
Total Assessment
$4,488,000
1 of 4
VIDEOS
MATTERPORT 3D EXTERIOR
MATTERPORT 3D TOUR
PHOTOS
STREET VIEW
STREET
MAP
