Log In/Sign Up
Your email has been sent.
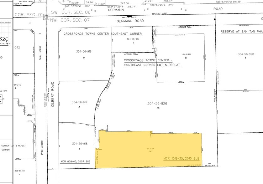
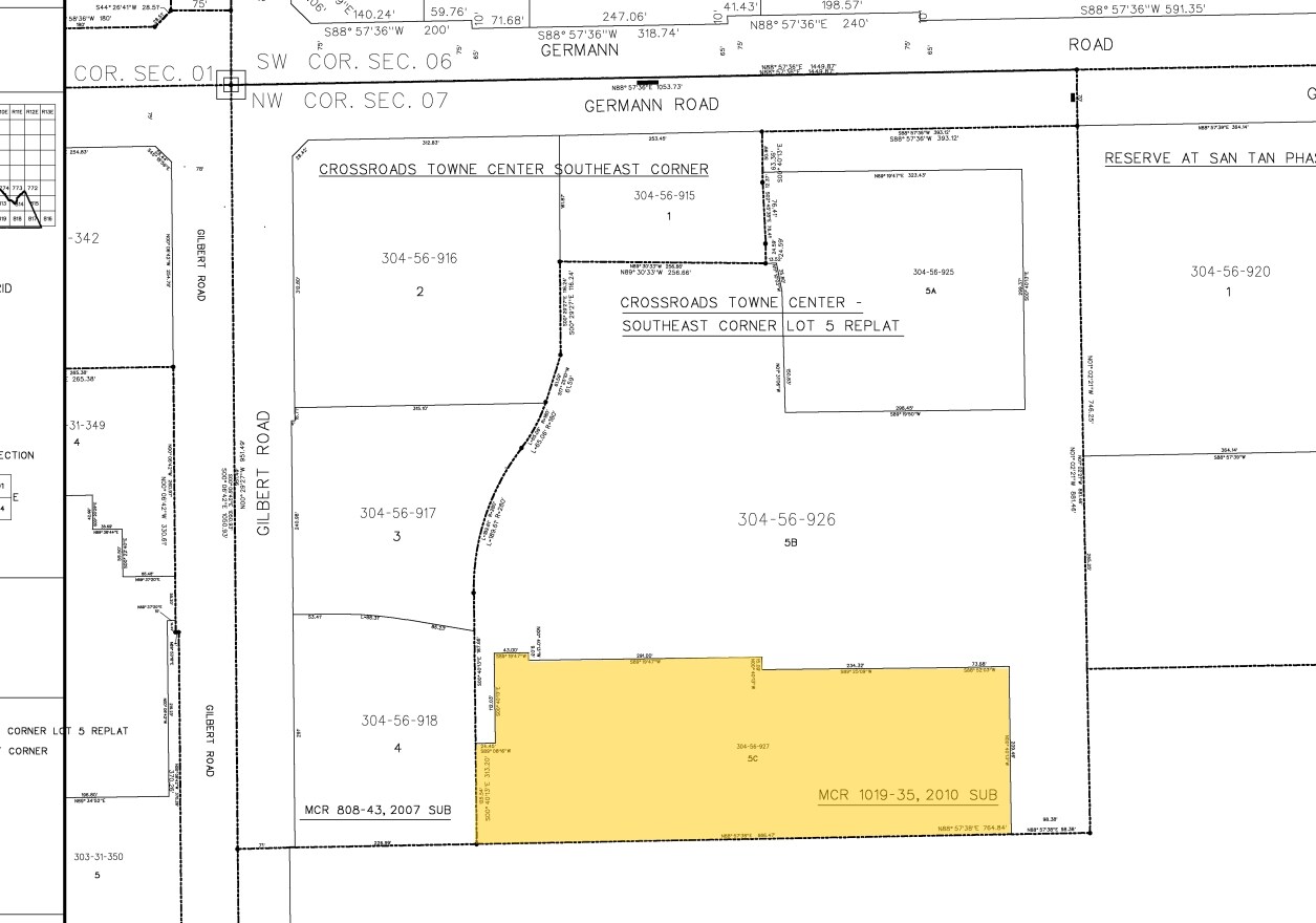
SE Germann Rd & Gilbert Rd - Crossroads Towne Center PAD 3.31 Acres of Commercial Land in Gilbert, AZ 85297

Investment Highlights
- BTS/GL Anchor Available (up to 25,000 SF)
- Top Tier Co-Tenancy Rounding Out the Power Center Intersection
- Average Household Income Over $140,000
- Strong Gilbert Growth Market
Property Facts In Escrow
| Sale Type | Investment | Property Subtype | Commercial |
| No. Lots | 1 | Proposed Use | Retail |
| Property Type | Land | Total Lot Size | 3.31 AC |
| Zoning | GC, Gilbert - GC, General Commercial | ||
| Sale Type | Investment |
| No. Lots | 1 |
| Property Type | Land |
| Property Subtype | Commercial |
| Proposed Use | Retail |
| Total Lot Size | 3.31 AC |
| Zoning | GC, Gilbert - GC, General Commercial |
1 Lot Available
Lot
| Lot Size | 3.31 AC |
| Lot Size | 3.31 AC |
BTS/GL Anchor Available (up to 25,000 SF)
1 1
Fairly walkable
50/100
Exceptionally drivable
100/100
Limited public transit
30/100
Fairly bikeable
50/100
Property Taxes
| Parcel Number | 304-56-927 | Improvements Assessment | $0 |
| Land Assessment | $0 | Total Assessment | $172,199 |
Property Taxes
Parcel Number
304-56-927
Land Assessment
$0
Improvements Assessment
$0
Total Assessment
$172,199
1 of 2
Videos
Matterport 3D Exterior
Matterport 3D Tour
Photos
Street View
Street
Map
1 of 1
Presented by
SE Germann Rd & Gilbert Rd - Crossroads Towne Center PAD
Already a member? Log In
Hmm, there seems to have been an error sending your message. Please try again.
Thanks! Your message was sent.
