Log In/Sign Up
Your email has been sent.
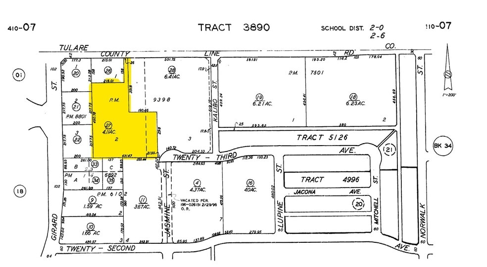
SEQ Girard and County Line Rd
Delano, CA 93215
Land For Sale
·
4.11 AC


Executive Summary
4.11 acres for sale or Ground Lease.
Property Facts
| Sale Type | Investment | Property Subtype | Commercial |
| No. Lots | 1 | Proposed Use | Retail |
| Property Type | Land | Total Lot Size | 4.11 AC |
| Zoning | CRC - Commercial Retail | ||
| Sale Type | Investment |
| No. Lots | 1 |
| Property Type | Land |
| Property Subtype | Commercial |
| Proposed Use | Retail |
| Total Lot Size | 4.11 AC |
| Zoning | CRC - Commercial Retail |
1 Lot Available
Lot
| Lot Size | 4.11 AC |
| Lot Size | 4.11 AC |
Property Taxes
| Parcel Number | 410-070-27-00-9 | Improvements Assessment | $0 |
| Land Assessment | $1,560,600 | Total Assessment | $1,560,600 |
Property Taxes
Parcel Number
410-070-27-00-9
Land Assessment
$1,560,600
Improvements Assessment
$0
Total Assessment
$1,560,600
1 of 3
Videos
Matterport 3D Exterior
Matterport 3D Tour
Photos
Street View
Street
Map
