Log In/Sign Up
Your email has been sent.
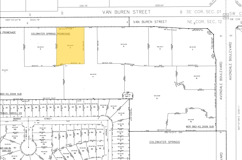
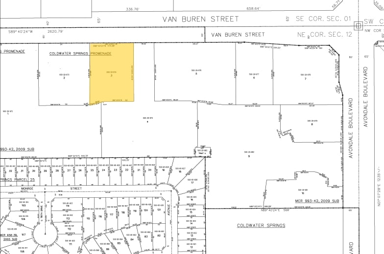
SW Avondale Blvd & Van Buren St
Avondale, AZ 85323
Coldwater Springs Promenade - PAD Lot 3 · Land For Sale
·
1.01 AC


Property Facts
1 Lot Available
Lot
| Lot Size | 1.01 AC |
| Lot Size | 1.01 AC |
LAST PADS AVAILABLE FOR SALE / APPROX. 1.01 ACRES & 4.85 ACRES Shop space 100% leased New home development Great access and exposure to the I-10 Fwy 3/4 mile to the North
Property Taxes
| Parcel Number | 500-29-974 | Improvements Assessment | $0 |
| Land Assessment | $70,167 | Total Assessment | $70,167 |
Property Taxes
Parcel Number
500-29-974
Land Assessment
$70,167
Improvements Assessment
$0
Total Assessment
$70,167
1 of 10
Videos
Matterport 3D Exterior
Matterport 3D Tour
Photos
Street View
Street
Map
