Log In/Sign Up
Your email has been sent.
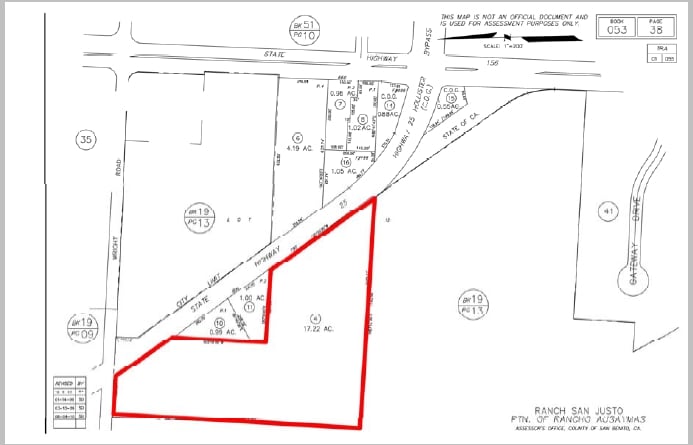
SWC 25 & Wright Rd Hwy
Hollister, CA 95023
Land For Sale
·
17.22 AC


Investment Highlights
- Heavy traffic on main entry to City of Hollister
- Call listing brokers for more information
Executive Summary
$7,500,000.00 ($10.00/SF)
Property Facts
| Sale Type | Investment | Property Subtype | Commercial |
| No. Lots | 1 | Proposed Use | Commercial |
| Property Type | Land | Total Lot Size | 17.22 AC |
| Zoning | GD - Gateway Commercial | ||
| Sale Type | Investment |
| No. Lots | 1 |
| Property Type | Land |
| Property Subtype | Commercial |
| Proposed Use | Commercial |
| Total Lot Size | 17.22 AC |
| Zoning | GD - Gateway Commercial |
1 Lot Available
Lot
| Price | $7,500,000 | Lot Size | 17.22 AC |
| Price Per AC | $435,540.07 |
| Price | $7,500,000 |
| Price Per AC | $435,540.07 |
| Lot Size | 17.22 AC |
Highway 25 & Bolsa Road Hollister, CA ±17.22 Acres Zoned GD/Gateway Commercial
Description
Highway 25 & Bolsa Road Hollister, CA ±17.22 Acres of raw land.
Property Taxes
| Parcel Number | 053-380-004-000 | Improvements Assessment | $0 |
| Land Assessment | $738,821 | Total Assessment | $738,821 |
Property Taxes
Parcel Number
053-380-004-000
Land Assessment
$738,821
Improvements Assessment
$0
Total Assessment
$738,821
1 of 4
Videos
Matterport 3D Exterior
Matterport 3D Tour
Photos
Street View
Street
Map
