Log In/Sign Up
Your email has been sent.
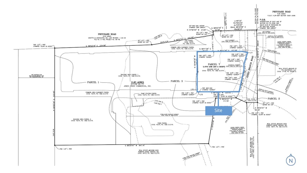
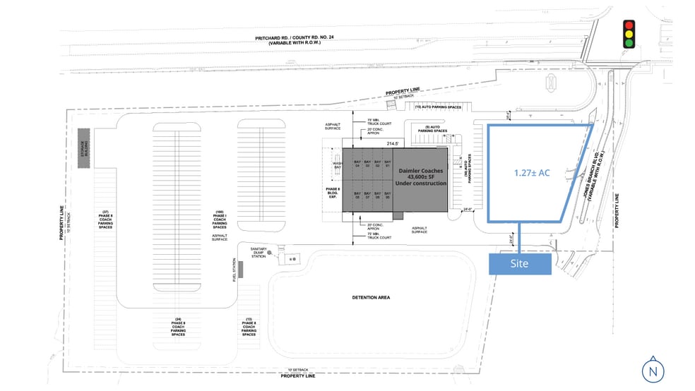
SWC Sportsman Club Rd & Pritchard Rd. 1.27 Acres of Commercial Land Offered at $950,000 in Jacksonville, FL 32219



Investment Highlights
- 1.27± acre pad ready site (off-site storm water and utilities to the property line)
- Located at first traffic light west of I-295
- The property is just east of the Westside Industrial Park, which is the main traffic generator and employment center in NW Jacksonville
- The property is zoned Planned Unit Development (PUD) allowing for most commercial and retail uses
- Adjacent to 43,600± SF Daimler Coaches development, which is under construction. Construction of this project will include improvements to the access
- Traffic counts: Pritchard Rd 35,500± AADT | I-295 82,000± AADT
Property Facts
| Price | $950,000 | Property Subtype | Commercial |
| Sale Type | Investment | Proposed Use | Retail |
| No. Lots | 1 | Total Lot Size | 1.27 AC |
| Property Type | Land | ||
| Zoning | PUD | ||
| Price | $950,000 |
| Sale Type | Investment |
| No. Lots | 1 |
| Property Type | Land |
| Property Subtype | Commercial |
| Proposed Use | Retail |
| Total Lot Size | 1.27 AC |
| Zoning | PUD |
1 Lot Available
Lot
| Price | $950,000 | Lot Size | 1.27 AC |
| Price Per AC | $748,031.50 |
| Price | $950,000 |
| Price Per AC | $748,031.50 |
| Lot Size | 1.27 AC |
1 1
Not walkable
10/100
Exceptionally drivable
100/100
Somewhat bikeable
30/100
Property Taxes
| Parcel Number | 003388-0150 | Improvements Assessment | $0 |
| Land Assessment | $554,950 | Total Assessment | $554,950 |
Property Taxes
Parcel Number
003388-0150
Land Assessment
$554,950
Improvements Assessment
$0
Total Assessment
$554,950
1 of 5
Videos
Matterport 3D Exterior
Matterport 3D Tour
Photos
Street View
Street
Map
1 of 1
