Route 22 | Dover Plains, NY 12522
This feature is unavailable at the moment.
We apologize, but the feature you are trying to access is currently unavailable. We are aware of this issue and our team is working hard to resolve the matter.
Please check back in a few minutes. We apologize for the inconvenience.
- LoopNet Team
This Land Property is no longer advertised on LoopNet.com.
Route 22
Dover Plains, NY 12522
Sherman Hill Subdivision · Land For Sale
·
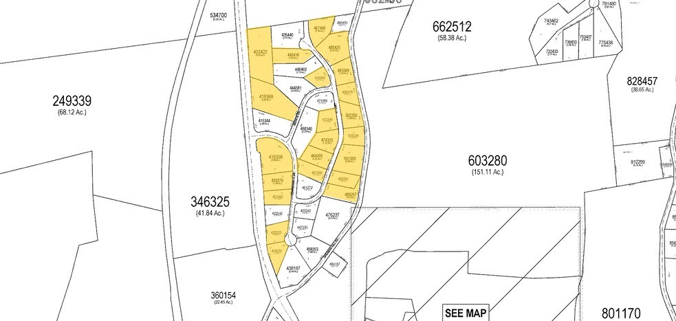
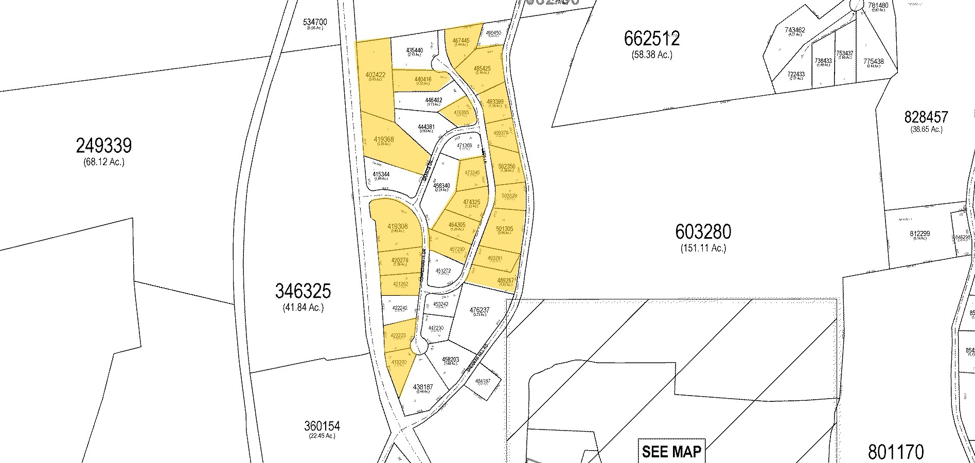
60.00 AC

PROPERTY FACTS
| Property Type | Land | Total Lot Size | 60.00 AC |
| Property Subtype | Residential | Cross Streets | Confederate Dr |
| Proposed Use | Single Family Development | ||
| Zoning | RU | ||
| Property Type | Land |
| Property Subtype | Residential |
| Proposed Use | Single Family Development |
| Total Lot Size | 60.00 AC |
| Cross Streets | Confederate Dr |
| Zoning | RU |
PROPERTY TAXES
PROPERTY TAXES
Parcel Numbers
Multiple
- 132600-7062-00-464305-0000
- 132600-7062-00-473345-0000
- 132600-7062-00-419200-0000
- 132600-7062-00-485425-0000
- 132600-7062-00-493399-0000
- 132600-7062-00-421262-0000
- 132600-7062-00-467445-0000
- 132600-7062-00-474325-0000
- 132600-7062-00-402422-0000
- 132600-7062-00-489267-0000
- 132600-7062-00-499378-0000
- 132600-7062-00-502350-0000
- 132600-7062-00-423223-0000
- 132600-7062-00-440416-0000
- 132600-7062-00-419308-0000
- 132600-7062-00-419368-0000
- 132600-7062-00-493281-0000
- 132600-7062-00-501305-0000
- 132600-7062-00-457290-0000
Land Assessment
$261,000
Improvements Assessment
$0
Total Assessment
$261,000
Listing ID: 4804584
Date on Market: 11/3/2016
Last Updated:
Address: Route 22, Dover Plains, NY 12522
The Land Property at Route 22, Dover Plains, NY 12522 is no longer being advertised on LoopNet.com. Contact the broker for information on availability.
LAND PROPERTIES IN NEARBY NEIGHBORHOODS
NEARBY LISTINGS
1 of 1
VIDEOS
MATTERPORT 3D EXTERIOR
MATTERPORT 3D TOUR
PHOTOS
STREET VIEW
STREET
MAP

Link copied
Your LoopNet account has been created!
Thank you for your feedback.
Please Share Your Feedback
We welcome any feedback on how we can improve LoopNet to better serve your needs.X
{{ getErrorText(feedbackForm.starRating, "rating") }}
255 character limit ({{ remainingChars() }} charactercharacters remainingover)
{{ getErrorText(feedbackForm.msg, "rating") }}
{{ getErrorText(feedbackForm.fname, "first name") }}
{{ getErrorText(feedbackForm.lname, "last name") }}
{{ getErrorText(feedbackForm.phone, "phone number") }}
{{ getErrorText(feedbackForm.phonex, "phone extension") }}
{{ getErrorText(feedbackForm.email, "email address") }}
You can provide feedback any time using the Help button at the top of the page.