Log In/Sign Up
Your email has been sent.
South Loop 336 East - 3301 South Loop 336 East - Conroe, TX 77301 15 Acres of Commercial Land Offered at $4,150,000 in Conroe, TX 77301



Investment Highlights
- Located in a high traffic area
- Area ideal for Single Family Residential/Commercial/Multifamily
Executive Summary
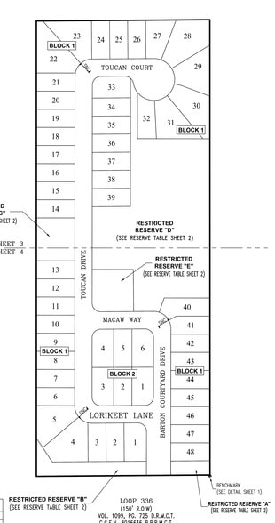
15 ACRES
Approved and Permitted with the City of Conroe , a Single Family 54 Lot Residential Development
Perfect for 55+ Community or Luxury Homes
Owner has bid out in early 2025 for Paving & Utilities
Civil Plans have been approved
Preliminary Plat has been approved
Property is located in the City of Conroe
Property has been annexed into MUD 142
Reimbursables are available through MUD 142
Loop 336 is a high traffic area
Loop 336 is being expanded to 4 lanes from I45 to FM1314
There are several existing & active Single Family communities within 2 miles of the Property
Approved and Permitted with the City of Conroe , a Single Family 54 Lot Residential Development
Perfect for 55+ Community or Luxury Homes
Owner has bid out in early 2025 for Paving & Utilities
Civil Plans have been approved
Preliminary Plat has been approved
Property is located in the City of Conroe
Property has been annexed into MUD 142
Reimbursables are available through MUD 142
Loop 336 is a high traffic area
Loop 336 is being expanded to 4 lanes from I45 to FM1314
There are several existing & active Single Family communities within 2 miles of the Property
Property Facts Under Contract
1 Lot Available
Lot
| Price | $4,150,000 | Lot Size | 15.00 AC |
| Price Per AC | $276,666.67 |
| Price | $4,150,000 |
| Price Per AC | $276,666.67 |
| Lot Size | 15.00 AC |
15 ACRES Approved and Permitted with the City of Conroe , a Single Family 54 Lot Residential Development Property is located East of and Adjacent to Refuge Church The address for the church is 3273 South Loop 336 East Conroe, Texas 77301
Description
15 Acre Unrestricted Reserve Currently approved for a 54 unit SF Residential Community Tract is Heavily Wooded No Floor Plain A small creek traverse the Property
Somewhat walkable
20/100
Exceptionally drivable
100/100
Somewhat bikeable
30/100
1 of 7
Videos
Matterport 3D Exterior
Matterport 3D Tour
Photos
Street View
Street
Map
Presented by
Nexthome Centurion Realty
South Loop 336 East - 3301 South Loop 336 East - Conroe, TX 77301
Already a member? Log In
Hmm, there seems to have been an error sending your message. Please try again.
Thanks! Your message was sent.

