Log In/Sign Up
Your email has been sent.
Springfield Ter - Development Site 1.2 Acres of Residential Land Offered at $532,035 in Arbroath DD11 1EL

Investment Highlights
- Comprise former Garden Ground for the Abbey Bank House.
- Surrounding properties comprise a mix of residential dwellings.
- Detailed planning consent - 9 units.
- Site extends to 1.2 acres.
- Established residential location.
- Available in part or whole.
Executive Summary
Former garden ground for the Abbey Bank House, offering the opportunity to develop 9 residential dwellings.
Extending to 1.2 Acres or thereby Established residential location Detailed planning consent - 9 units Available in part or whole Planning reference - 11/00085/FULL
The site extends to approximately 1.2 acres or thereby and has consent for the following accommodation.
The site extends to 1.2 acres or thereby and includes the derelict lodge house, situated at the entrance to Springfield Terrace.
Main services we understand are available within the immediate vicinity of the site and as such the site can be serviced with no abnormal development costs.
In accordance with the Planning Consent granted 10th May 2011 (Planning Reference 11/00085/ FULL) the site has full planning permission for the erection of 5 detached dwellinghouse and 4 semi detached dwellinghouses.
Arbroath is the largest town in Angus, with a range of manufacturing, retail and service businesses and a vibrant high street shopping area within its heart. The town has a population of approximately 25,000 persons and is located on the east coast of Scotland, some 15 miles north east of Dundee and 48 miles south of Scotland's oil capital Aberdeen on the A92 coastal trunkroad.
The subjects comprise former garden ground for the Abbey Bank House, offering the opportunity to develop 9 residential dwellings.
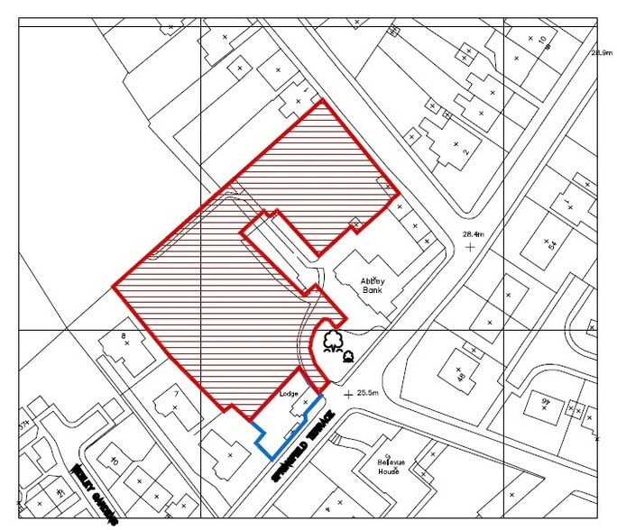
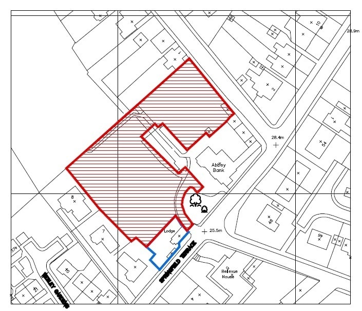
More precisely, the subjects lie to the north of Arbroath town centre within an established residential area. Springfield Terrace forms the eastern boundary of the site with housing to the south, allotments to the east and Hayshead Road to the north.
The approximate location is shown by the os Plan to the site.
Extending to 1.2 Acres or thereby Established residential location Detailed planning consent - 9 units Available in part or whole Planning reference - 11/00085/FULL
The site extends to approximately 1.2 acres or thereby and has consent for the following accommodation.
The site extends to 1.2 acres or thereby and includes the derelict lodge house, situated at the entrance to Springfield Terrace.
Main services we understand are available within the immediate vicinity of the site and as such the site can be serviced with no abnormal development costs.
In accordance with the Planning Consent granted 10th May 2011 (Planning Reference 11/00085/ FULL) the site has full planning permission for the erection of 5 detached dwellinghouse and 4 semi detached dwellinghouses.
Arbroath is the largest town in Angus, with a range of manufacturing, retail and service businesses and a vibrant high street shopping area within its heart. The town has a population of approximately 25,000 persons and is located on the east coast of Scotland, some 15 miles north east of Dundee and 48 miles south of Scotland's oil capital Aberdeen on the A92 coastal trunkroad.
The subjects comprise former garden ground for the Abbey Bank House, offering the opportunity to develop 9 residential dwellings.
More precisely, the subjects lie to the north of Arbroath town centre within an established residential area. Springfield Terrace forms the eastern boundary of the site with housing to the south, allotments to the east and Hayshead Road to the north.
The approximate location is shown by the os Plan to the site.
Property Facts
| Price | $532,035 | Property Type | Land |
| Sale Type | Investment | Property Subtype | Residential |
| Tenure | Freehold | Total Lot Size | 1.20 AC |
| No. Lots | 1 |
| Price | $532,035 |
| Sale Type | Investment |
| Tenure | Freehold |
| No. Lots | 1 |
| Property Type | Land |
| Property Subtype | Residential |
| Total Lot Size | 1.20 AC |
1 Lot Available
Lot
| Price | $532,035 | Lot Size | 1.20 AC |
| Price Per AC | $443,362.65 |
| Price | $532,035 |
| Price Per AC | $443,362.65 |
| Lot Size | 1.20 AC |
The site extends to 1.2 acres or thereby and includes the derelict lodge house, situated at the entrance to Springfield Terrace.
Description
The site comprises land for development extending to 1.2 acres.
1 1
1 of 2
Videos
Matterport 3D Exterior
Matterport 3D Tour
Photos
Street View
Street
Map
1 of 1
Presented by
Springfield Ter - Development Site
Already a member? Log In
Hmm, there seems to have been an error sending your message. Please try again.
Thanks! Your message was sent.
